Log In/Sign Up
Your email has been sent.
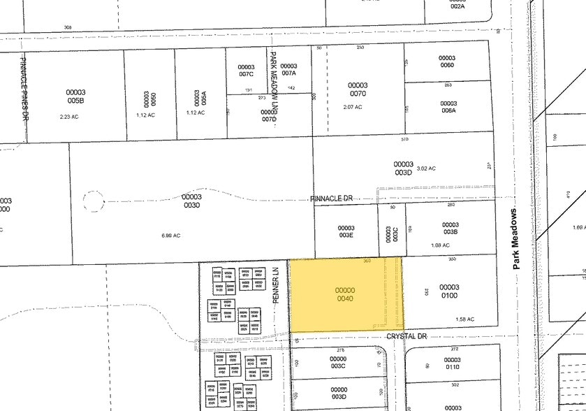
Crystal Drive Warehouse 1901 Crystal Dr 28,600 SF Retail Building Fort Myers, FL 33907 $5,070,517 CAD ($177.29 CAD/SF)



Investment Highlights
- 28,600± SF two unit building on 2.33 acres in south Fort Myers
- Zoned C-1, Mixed Use Overlay in Lee County
- Ideal property for redevolopment
- Fully air-conditioned 4600 SF unit is sprinklered
- Sale also includes the operating bowling alley/lounge business, at no extra cost
Executive Summary
Prime investment or redevelopment opportunity.
Property Facts
Sale Type
Investment or Owner User
Sale Condition
Redevelopment Project
Property Type
Retail
Property Subtype
Building Size
28,600 SF
Building Class
C
Year Built
1979
Price
$5,070,517 CAD
Price Per SF
$177.29 CAD
Tenancy
Single
Building Height
1 Story
Building FAR
0.33
Lot Size
1.99 AC
Zoning
C-1
Parking
94 Spaces (3.29 Spaces per 1,000 SF Leased)
Frontage
250’ on Crystal
Amenities
- Pylon Sign
- Signage
- Air Conditioning
Moderately walkable
70/100
Moderately drivable
70/100
Limited public transit
30/100
Fairly bikeable
50/100
Nearby Major Retailers
Property Taxes
| Parcel Number | 14-45-24-01-00000.0040 | Improvements Assessment | $0 CAD |
| Land Assessment | $0 CAD | Total Assessment | $2,437,028 CAD |
Property Taxes
Parcel Number
14-45-24-01-00000.0040
Land Assessment
$0 CAD
Improvements Assessment
$0 CAD
Total Assessment
$2,437,028 CAD
1 of 5
Videos
Matterport 3D Exterior
Matterport 3D Tour
Photos
Street View
Street
Map
Presented by
Crystal Drive Warehouse | 1901 Crystal Dr
Already a member? Log In
Hmm, there seems to have been an error sending your message. Please try again.
Thanks! Your message was sent.

