Log In/Sign Up
Your email has been sent.
Investment Highlights
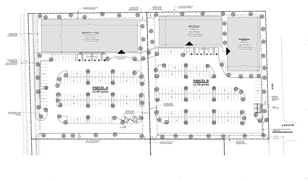
- Total Build-Out: ±52,000 SF Medical Office Space
- Designed for flexibility to accommodate multi-tenant or single-user configurations
- Efficient parking layout with ±262 total stalls across both parcels
Executive Summary
Mercy Gateway Medical Campus represents a rare opportunity to develop ±5.03 acres of prime medical land within one of the most established and rapidly expanding healthcare corridors in the Southeast Valley.
Strategically positioned within the Town of Gilbert’s Melrose Improvement District, this site is not a standalone project, it is a direct extension of a larger, planned healthcare ecosystem anchored by Mercy Gilbert Medical Center.
This offering provides developers, healthcare operators, and investors the ability to deliver a purpose-built medical campus in a location where demand, infrastructure, and surrounding tenancy are already proven.
Strategically positioned within the Town of Gilbert’s Melrose Improvement District, this site is not a standalone project, it is a direct extension of a larger, planned healthcare ecosystem anchored by Mercy Gilbert Medical Center.
This offering provides developers, healthcare operators, and investors the ability to deliver a purpose-built medical campus in a location where demand, infrastructure, and surrounding tenancy are already proven.
Property Facts
| Sale Type | Investment | Property Subtype | Commercial |
| No. Lots | 1 | Total Lot Size | 5.03 AC |
| Property Type | Land |
| Sale Type | Investment |
| No. Lots | 1 |
| Property Type | Land |
| Property Subtype | Commercial |
| Total Lot Size | 5.03 AC |
1 Lot Available
Lot
| Lot Size | 5.03 AC |
| Lot Size | 5.03 AC |
The preliminary architectural test-fit outlines a 52,000 SF medical campus designed to support a variety of outpatient and specialty medical uses.
1 1
Fairly walkable
50/100
Exceptionally drivable
90/100
Limited public transit
20/100
Fairly bikeable
50/100
Property Taxes
| Parcel Numbers | Improvements Assessment | $0 CAD | |
| Land Assessment | $267,981 CAD | Total Assessment | $267,981 CAD |
Property Taxes
Parcel Numbers
Land Assessment
$267,981 CAD
Improvements Assessment
$0 CAD
Total Assessment
$267,981 CAD
1 of 4
Videos
Matterport 3D Exterior
Matterport 3D Tour
Photos
Street View
Street
Map
1 of 1
Presented by
1915 E Willis Rd - Mercy Gateway Medical Campus
Already a member? Log In
Hmm, there seems to have been an error sending your message. Please try again.
Thanks! Your message was sent.



