Log In/Sign Up
Your email has been sent.
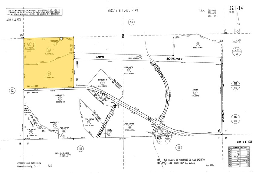
19203 Cajalco Rd - Residential Development Opportunity 40.11 Acres of Agricultural Land Offered at $6,815,607 CAD in Perris, CA 92570



Investment Highlights
- 1300 feet of frontage
- Commercial rezoning available
Executive Summary
An extraordinary investment opportunity awaits with this rare property package consisting of 4 separate parcels zoned Residential Agricultural 1/2. With over
1,300 feet of prime frontage along both Cajalco Road and Wood Road, the possibilities are truly endless. The front corner parcel includes a well with pump, and with
the MWD aqueduct running directly under the property, water access is virtually unlimited — an invaluable resource for future development or agricultural use. The
seller has already initiated the rezoning process for potential gas station/commercial use, opening the door to a wide range of development opportunities.
Alternatively, the property could be subdivided into 1/2-acre residential lots, ideal for single-family residences. Currently, there are two single-family homes on the
property that could be repaired, rented, or repurposed — adding immediate income potential while development plans are underway. Whether you envision
commercial development, residential subdivision, agricultural use, or a long-term investment, 19203 Cajalco Road offers unmatched scale, infrastructure
advantages, and flexibility in a high-growth area of Riverside County.
EXCLUSIONS: INCL
1,300 feet of prime frontage along both Cajalco Road and Wood Road, the possibilities are truly endless. The front corner parcel includes a well with pump, and with
the MWD aqueduct running directly under the property, water access is virtually unlimited — an invaluable resource for future development or agricultural use. The
seller has already initiated the rezoning process for potential gas station/commercial use, opening the door to a wide range of development opportunities.
Alternatively, the property could be subdivided into 1/2-acre residential lots, ideal for single-family residences. Currently, there are two single-family homes on the
property that could be repaired, rented, or repurposed — adding immediate income potential while development plans are underway. Whether you envision
commercial development, residential subdivision, agricultural use, or a long-term investment, 19203 Cajalco Road offers unmatched scale, infrastructure
advantages, and flexibility in a high-growth area of Riverside County.
EXCLUSIONS: INCL
Property Facts
1 Lot Available
Lot
| Price | $6,815,607 CAD | Lot Size | 40.11 AC |
| Price Per AC | $169,922.88 CAD |
| Price | $6,815,607 CAD |
| Price Per AC | $169,922.88 CAD |
| Lot Size | 40.11 AC |
4 parcels are included to equal a little over 40 Acres. 1300 feet of frontage on Cajalco at Wood Road.
1 1
Not walkable
10/100
Exceptionally drivable
100/100
Somewhat bikeable
20/100
Property Taxes
| Parcel Numbers | Improvements Assessment | $447,141 CAD | |
| Land Assessment | $4,138,934 CAD | Total Assessment | $4,586,075 CAD |
Property Taxes
Parcel Numbers
Land Assessment
$4,138,934 CAD
Improvements Assessment
$447,141 CAD
Total Assessment
$4,586,075 CAD
1 of 16
Videos
Matterport 3D Exterior
Matterport 3D Tour
Photos
Street View
Street
Map
1 of 1
Presented by
19203 Cajalco Rd - Residential Development Opportunity
Already a member? Log In
Hmm, there seems to have been an error sending your message. Please try again.
Thanks! Your message was sent.
