Log In/Sign Up
Your email has been sent.
1925 Patton Chapel Rd. - 1925 Patton Chapel Rd. .92 ac. MOB/POB pad 0.92 Acres of Commercial Land in Hoover, AL 35226


Investment Highlights
- Excellent POB/MOB site
- Utils readily avail.
- Between Hwy 31 (Hoover retail corridor) and Hoover's mature sought after neighborhoods
Executive Summary
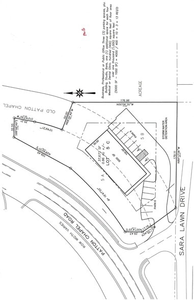
New .92 acre site created after 5-lane widening of Patton Chapel Rd. just up from intersection with Hwy 31 (Montgomery Hwy - Hoover’s busy retail corridor). Site ready for rezoning and is prime for MOB or POB use - just minutes from the sought after neighborhoods off Patton Chapel, Chapel Lane and Preserve Pkwy. Site is rough graded with all utilities at or near. Prelim. site schematic shows site can support 5,000 sf bldg w/ parking.
Taxes & Operating Expenses (Actual - 2024) Click Here to Access |
Annual (CAD) | Annual Per AC (CAD) |
|---|---|---|
| Taxes |
-
|
-
|
| Operating Expenses |
-
|
-
|
| Total Expenses |
$99,999
|
$9.99
|
Taxes & Operating Expenses (Actual - 2024) Click Here to Access
| Taxes (CAD) | |
|---|---|
| Annual | - |
| Annual Per AC | - |
| Operating Expenses (CAD) | |
|---|---|
| Annual | - |
| Annual Per AC | - |
| Total Expenses (CAD) | |
|---|---|
| Annual | $99,999 |
| Annual Per AC | $9.99 |
Property Facts
1 Lot Available
Lot
| Lot Size | 0.92 AC |
| Lot Size | 0.92 AC |
New .92 acre site created after 5-lane widening of Patton Chapel Rd. just up from intersection with Hwy 31 (Montgomery Hwy - Hoover’s busy retail corridor). Site ready for rezoning and is prime for MOB or POB use.
1 1
Fairly walkable
50/100
Exceptionally drivable
100/100
Limited public transit
30/100
Fairly bikeable
40/100
1 of 3
Videos
Matterport 3D Exterior
Matterport 3D Tour
Photos
Street View
Street
Map
1 of 1
Presented by
1925 Patton Chapel Rd. - 1925 Patton Chapel Rd. .92 ac. MOB/POB pad
Already a member? Log In
Hmm, there seems to have been an error sending your message. Please try again.
Thanks! Your message was sent.
