Log In/Sign Up
Your email has been sent.
19603 Oakmont Dr
Gretna, NE 68028
Retail Property For Lease
·
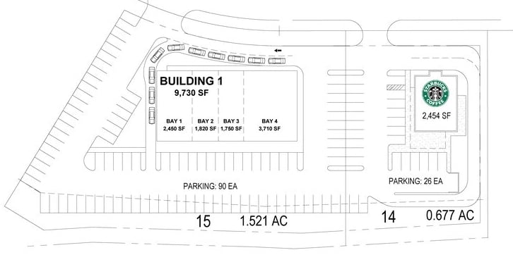
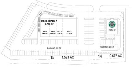
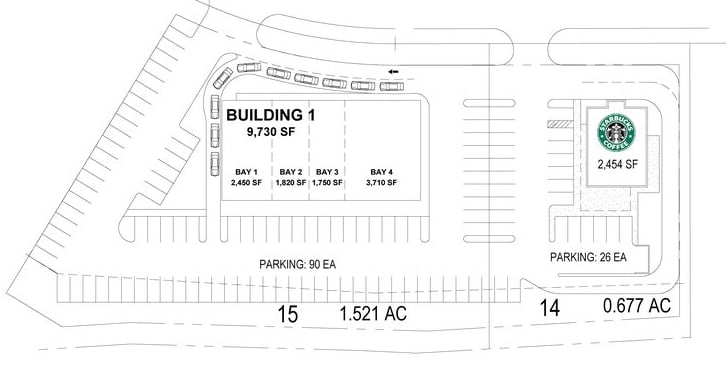
9,730 SF


Highlights
- Best hard corner of HWY 370
- Future Big Box Anchor
- Anchored by ALDI & Hy-Vee
- Surrounded by National Tenants and brand-new apartment communities
Property Facts
| Total Space Available | 9,730 SF | Year Built | 2027 |
| Property Type | Retail | Construction Status | Proposed |
| Gross Leasable Area | 9,730 SF |
| Total Space Available | 9,730 SF |
| Property Type | Retail |
| Gross Leasable Area | 9,730 SF |
| Year Built | 2027 |
| Construction Status | Proposed |
About the Property
• Best Hard Corner of HWY 370 • Only direct access with a left turn on HWY 370 • Anchored by two grocers, ALDI & Hy-Vee • Plus future big box • 180th traffic funneling into 192nd via new connection from Giles to Cornhusker • 192nd to connect with I-80 in future interchange • Less than 1-mile away from Gretna East • School is built to accommodate 1,600 students • 1,700+ residential lots under construction in 1-mile radius • 135,000 SF Nebraska Medicine building under construction
1 of 5
Videos
Matterport 3D Exterior
Matterport 3D Tour
Photos
Street View
Street
Map
