Your email has been sent.
Highlights
- Proposed Drive-thru endcap Available
- Space Available: ±1,610–7,000 SF
- Traffic Count: ±27,000 VPD on SC-101
- Lease Rate: ±$35-40/SF NNN
- Parking: ±104 spaces (±5.0/1,000 SF)
Space Availability (1)
Display Rental Rate as
- Space
- Size
- Term
- Rental Rate
- Rent Type
| Space | Size | Term | Rental Rate | Rent Type | ||
| 1st Floor | 7,000 SF | Negotiable | $48.08 CAD/SF/YR $4.01 CAD/SF/MO $336,561 CAD/YR $28,047 CAD/MO | Triple Net (NNN) |
1st Floor
- Lease rate does not include utilities, property expenses or building services
- Drive Thru
Rent Types
The rent amount and type that the tenant (lessee) will be responsible to pay to the landlord (lessor) throughout the lease term is negotiated prior to both parties signing a lease agreement. The rent type will vary depending upon the services provided. For example, triple net rents are typically lower than full service rents due to additional expenses the tenant is required to pay in addition to the base rent. Contact the listing broker for a full understanding of any associated costs or additional expenses for each rent type.
1. Full Service: A rental rate that includes normal building standard services as provided by the landlord within a base year rental.
2. Double Net (NN): Tenant pays for only two of the building expenses; the landlord and tenant determine the specific expenses prior to signing the lease agreement.
3. Triple Net (NNN): A lease in which the tenant is responsible for all expenses associated with their proportional share of occupancy of the building.
4. Modified Gross: Modified Gross is a general type of lease rate where typically the tenant will be responsible for their proportional share of one or more of the expenses. The landlord will pay the remaining expenses. See the below list of common Modified Gross rental rate structures: 4. Plus All Utilities: A type of Modified Gross Lease where the tenant is responsible for their proportional share of utilities in addition to the rent. 4. Plus Cleaning: A type of Modified Gross Lease where the tenant is responsible for their proportional share of cleaning in addition to the rent. 4. Plus Electric: A type of Modified Gross Lease where the tenant is responsible for their proportional share of the electrical cost in addition to the rent. 4. Plus Electric & Cleaning: A type of Modified Gross Lease where the tenant is responsible for their proportional share of the electrical and cleaning cost in addition to the rent. 4. Plus Utilities and Char: A type of Modified Gross Lease where the tenant is responsible for their proportional share of the utilities and cleaning cost in addition to the rent. 4. Industrial Gross: A type of Modified Gross lease where the tenant pays one or more of the expenses in addition to the rent. The landlord and tenant determine these prior to signing the lease agreement.
5. Tenant Electric: The landlord pays for all services and the tenant is responsible for their usage of lights and electrical outlets in the space they occupy.
6. Negotiable or Upon Request: Used when the leasing contact does not provide the rent or service type.
7. TBD: To be determined; used for buildings for which no rent or service type is known, commonly utilized when the buildings are not yet built.
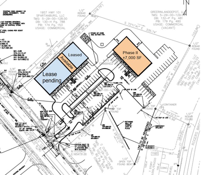
Site Plan
Property Facts
| Total Space Available | 7,000 SF | Gross Leasable Area | 7,000 SF |
| Property Type | Retail | Parking Ratio | 5/1,000 SF |
| Property Subtype | Freestanding | Construction Status | Proposed |
| Total Space Available | 7,000 SF |
| Property Type | Retail |
| Property Subtype | Freestanding |
| Gross Leasable Area | 7,000 SF |
| Parking Ratio | 5/1,000 SF |
| Construction Status | Proposed |
About the Property
Reedy River Retail at SVN | Palmetto is pleased to present up to ±18,270 SF of new construction multi-tenant retail space available at 1963 SC-101 in Greer, SC. This development sits on ±3.33 acres in one of the Upstate’s fastest-growing corridors, offering excellent visibility and accessibility with full access on SC-101 and a secondary access point proposed onto Rogers Bridge Road. The property benefits from strong traffic counts and proximity to national retailers, making it ideal for retail, medical, or office users seeking a prominent location in a high-demand market. Building I has been delivered in Warm Grey Shell condition as of 2026, featuring HVAC in place and flexible layout options ready for tenant-specific buildout. Key Highlights: Proposed Drive-thru endcap Available Lease Rate: ±$35-40/SF NNN Space Available: ±1,610–7,000 SF Traffic Count: ±27,000 VPD on SC-101 Parking: ±104 spaces (±5.0/1,000 SF)
- Restaurant
- Signalized Intersection
- Drive Thru
Nearby Major Retailers
Presented by
1967 S Carolina 101
Hmm, there seems to have been an error sending your message. Please try again.
Thanks! Your message was sent.






