Log In/Sign Up
Your email has been sent.
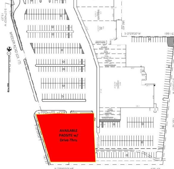
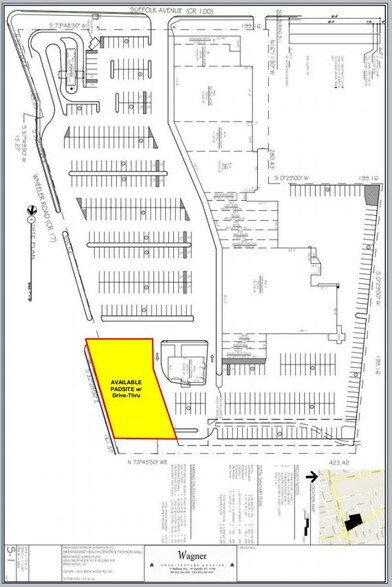
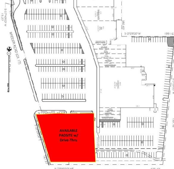
2-32 Wheeler Rd
Central Islip, NY 11722
Padsite with Drive Thru · Land For Lease


1 of 5
Videos
Matterport 3D Exterior
Matterport 3D Tour
Photos
Street View
Street
Map
