Log In/Sign Up
Your email has been sent.
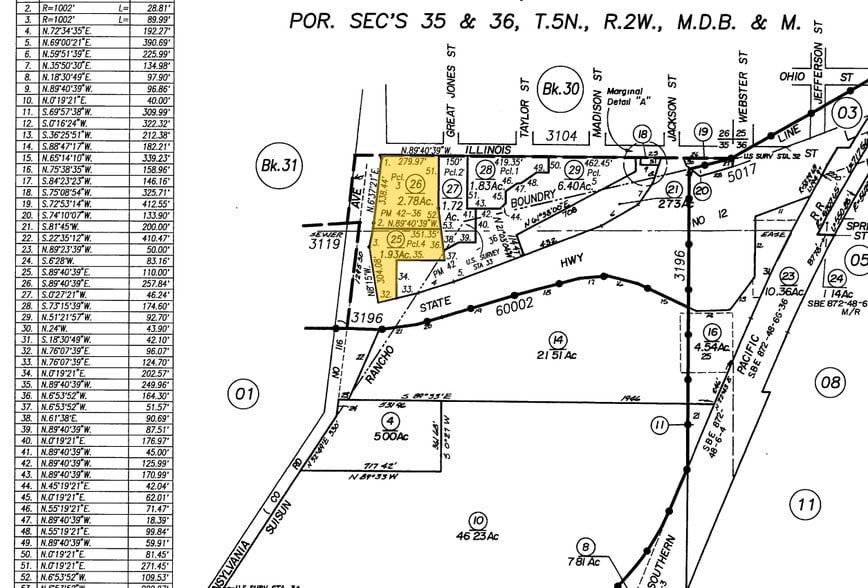
200 Pennsylvania Ave
Fairfield, CA 94533
Hwy 12 and Pennsylvania Ave. · Land For Sale
·
4.71 AC


Property Facts
| Sale Type | Investment | Proposed Use | Industrial |
| No. Lots | 1 | Total Lot Size | 4.71 AC |
| Property Type | Land | Cross Streets | Highway 12 |
| Property Subtype | Commercial | ||
| Zoning | CS (Service Commercial) | ||
| Sale Type | Investment |
| No. Lots | 1 |
| Property Type | Land |
| Property Subtype | Commercial |
| Proposed Use | Industrial |
| Total Lot Size | 4.71 AC |
| Cross Streets | Highway 12 |
| Zoning | CS (Service Commercial) |
1 Lot Available
Lot
| Lot Size | 4.71 AC |
| Lot Size | 4.71 AC |
Property Taxes
| Parcel Numbers | Improvements Assessment | $0 CAD | |
| Land Assessment | $3,504,085 CAD | Total Assessment | $3,504,085 CAD |
Property Taxes
Parcel Numbers
Land Assessment
$3,504,085 CAD
Improvements Assessment
$0 CAD
Total Assessment
$3,504,085 CAD
1 of 5
Videos
Matterport 3D Exterior
Matterport 3D Tour
Photos
Street View
Street
Map
