Log In/Sign Up
Your email has been sent.
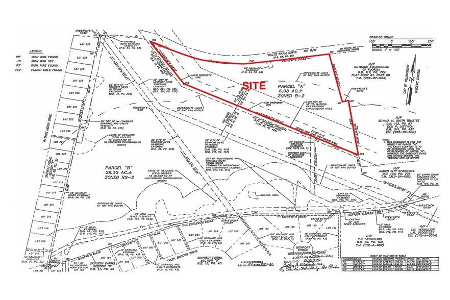
200 Waltz Farm Dr
Williamsburg, VA 23185
200 Waltz Farm Drive · Land For Sale
·
6.90 AC


Executive Summary
" Excellent Development Opportunity
" Located ±300 feet west of the intersection of Waltz Farm Drive and Richmond Road. This intersection has approximately 22,000 vehicles travel along Richmond Road per day.
" Property is centrally located in the heart of the Greater Williamsburg Area.
" ± 1 mile south of the ±450,000 sqft Williamsburg Premium Outlets, which was ranked No. 8 outlet mall in the industry by the publication Value Retail News.
" ± 1.5 miles north from The College of William & Mary and ± 2 miles from Colonial Williamsburg.
" Located ±300 feet west of the intersection of Waltz Farm Drive and Richmond Road. This intersection has approximately 22,000 vehicles travel along Richmond Road per day.
" Property is centrally located in the heart of the Greater Williamsburg Area.
" ± 1 mile south of the ±450,000 sqft Williamsburg Premium Outlets, which was ranked No. 8 outlet mall in the industry by the publication Value Retail News.
" ± 1.5 miles north from The College of William & Mary and ± 2 miles from Colonial Williamsburg.
Property Facts
| Sale Type | Investment | Property Subtype | Commercial |
| No. Lots | 1 | Total Lot Size | 6.90 AC |
| Property Type | Land |
| Sale Type | Investment |
| No. Lots | 1 |
| Property Type | Land |
| Property Subtype | Commercial |
| Total Lot Size | 6.90 AC |
1 Lot Available
Lot
| Price | $890,766 CAD | Lot Size | 6.90 AC |
| Price Per AC | $129,096.59 CAD |
| Price | $890,766 CAD |
| Price Per AC | $129,096.59 CAD |
| Lot Size | 6.90 AC |
1 of 3
Videos
Matterport 3D Exterior
Matterport 3D Tour
Photos
Street View
Street
Map
