Log In/Sign Up
Your email has been sent.
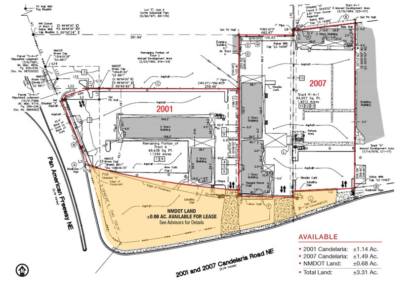
2001 Candelaria Rd NE
Albuquerque, NM 87107
2001 & 2007 Candelaria Ground Lease · Land For Lease


Highlights
- 17,000± Cars Per Day On Candelaria Rd NE
- NR-LM - Non-Residential Light Manufacturing
- Future Purchase Possible
- 220,412± Cars Per Day On I-25
- I-25 Frontage
Property Facts
| Total Space Available | 3.23 AC | Property Subtype | Commercial |
| Min. Divisible | 0.60 AC | Proposed Use | Commercial |
| Property Type | Land |
| Total Space Available | 3.23 AC |
| Min. Divisible | 0.60 AC |
| Property Type | Land |
| Property Subtype | Commercial |
| Proposed Use | Commercial |
1 of 9
Videos
Matterport 3D Exterior
Matterport 3D Tour
Photos
Street View
Street
Map
