Log In/Sign Up
Your email has been sent.
2001 Point Breeze Ave 0.11 Acres of Commercial Land in Philadelphia, PA 19145



INVESTMENT HIGHLIGHTS
- Vacant Land
- Frontage on Snyder Ave
EXECUTIVE SUMMARY
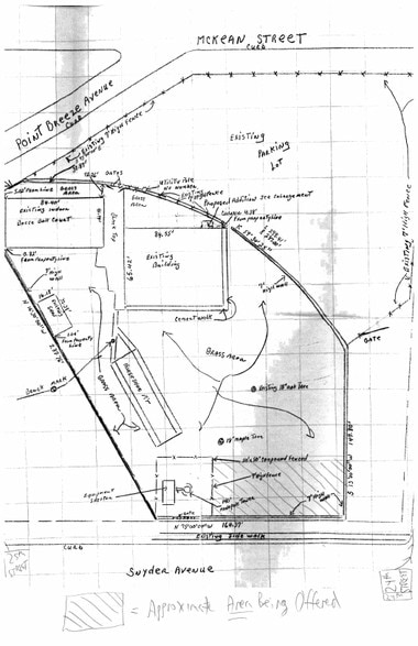
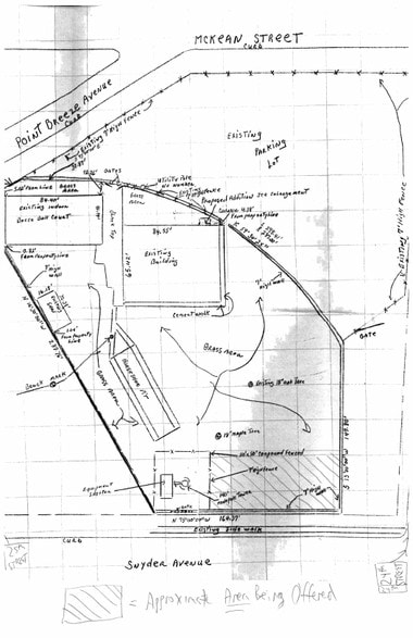
50 feet by 100 feet with potential for 5,000 more sf at negotiable price. The space is vacant land on [Snyder Avenue] behind Point Breeze.
Part of the 2001 Point Breeze Avenue property which is for sale starts with 100 feet of Snyder Avenue exposure.
Part of the 2001 Point Breeze Avenue property which is for sale starts with 100 feet of Snyder Avenue exposure.
PROPERTY FACTS
| Sale Type | Investment | Property Subtype | Commercial |
| No. Lots | 1 | Proposed Use | Commercial |
| Property Type | Land | Total Lot Size | 0.11 AC |
| Zoning | R5 - Primarily intended for attached and semi-detached houses on individual lots | ||
| Sale Type | Investment |
| No. Lots | 1 |
| Property Type | Land |
| Property Subtype | Commercial |
| Proposed Use | Commercial |
| Total Lot Size | 0.11 AC |
| Zoning | R5 - Primarily intended for attached and semi-detached houses on individual lots |
1 LOT AVAILABLE
Lot
| Lot Size | 0.11 AC |
| Lot Size | 0.11 AC |
This lot is vacant land.
1 1
Walk Score®
Very Walkable (82)
Bike Score®
Very Bikeable (75)
1 of 4
VIDEOS
MATTERPORT 3D EXTERIOR
MATTERPORT 3D TOUR
PHOTOS
STREET VIEW
STREET
MAP
1 of 1
Presented by
2001 Point Breeze Ave
Already a member? Log In
Hmm, there seems to have been an error sending your message. Please try again.
Thanks! Your message was sent.
