Log In/Sign Up
Your email has been sent.
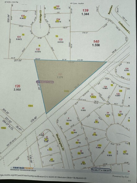
2008 Dayton Germantown Pike 1,234 SF 100% Leased Retail Building Germantown, OH 45327 $443,378 CAD ($359.30 CAD/SF)



Investment Highlights
- PRIME LOCATION!
Executive Summary
2.29 Acres – w/ older 2-story home and 60x40 barn.
Currently zoned residential but sits in prime commercial territory.
Buyer(s) and or agent(s) must do their due diligence in researching potential uses with the city. The property sits across from new residential Walnut Hills neighborhood and backs up to Hickory Pointe Estates - offering endless potential for commercial use if approved. Located by Taco Bell, McDonald’s, Gold Star, Auto Parts store and supermarket.
Prime location for a business.
City Water is available, gas and sewer at street.
Currently zoned residential but sits in prime commercial territory.
Buyer(s) and or agent(s) must do their due diligence in researching potential uses with the city. The property sits across from new residential Walnut Hills neighborhood and backs up to Hickory Pointe Estates - offering endless potential for commercial use if approved. Located by Taco Bell, McDonald’s, Gold Star, Auto Parts store and supermarket.
Prime location for a business.
City Water is available, gas and sewer at street.
Property Facts
Sale Type
Investment or Owner User
Property Type
Retail
Property Subtype
Building Size
1,234 SF
Year Built
1849
Price
$443,378 CAD
Price Per SF
$359.30 CAD
Percent Leased
100%
Building Height
2 Stories
Building FAR
0.02
Lot Size
1.88 AC
Somewhat walkable
30/100
Exceptionally drivable
100/100
Somewhat bikeable
20/100
Property Taxes
| Parcel Number | D13-00206-0013 | Improvements Assessment | $54,648 CAD |
| Land Assessment | $34,317 CAD | Total Assessment | $88,965 CAD |
Property Taxes
Parcel Number
D13-00206-0013
Land Assessment
$34,317 CAD
Improvements Assessment
$54,648 CAD
Total Assessment
$88,965 CAD
1 of 10
Videos
Matterport 3D Exterior
Matterport 3D Tour
Photos
Street View
Street
Map
Presented by
2008 Dayton Germantown Pike
Already a member? Log In
Hmm, there seems to have been an error sending your message. Please try again.
Thanks! Your message was sent.
