Log In/Sign Up
Your email has been sent.
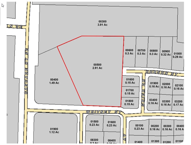
201 Whitney St - 201 Whitney St. 2.9 Acres of Commercial Land Offered at $791,246 CAD in Stayton, OR 97383


Investment Highlights
- Zoned ID for versatile retail opportunities
- Ideal for retail and strip center development
- Strategic location in Stayton, OR
- Convenient access to key transportation routes
Executive Summary
This property presents a prime opportunity for retail and strip center investors. Zoned ID, the location offers a versatile platform for a variety of retail ventures, from boutique stores to service establishments. The property's strategic placement and easy access to key transportation routes make it an attractive prospect for businesses looking to establish a prominent presence in the thriving Salem area. With its advantageous zoning and convenient location, this property stands as an ideal canvas for retail and strip center investors seeking to capitalize on the region's dynamic commercial landscape.
Property Facts
| Price | $791,246 CAD | Property Type | Land |
| Sale Type | Investment | Property Subtype | Commercial |
| No. Lots | 1 | Total Lot Size | 2.90 AC |
| Zoning | ID - Stayton ID - Interchange Development | ||
| Price | $791,246 CAD |
| Sale Type | Investment |
| No. Lots | 1 |
| Property Type | Land |
| Property Subtype | Commercial |
| Total Lot Size | 2.90 AC |
| Zoning | ID - Stayton ID - Interchange Development |
1 Lot Available
Lot
| Price | $791,246 CAD | Lot Size | 2.90 AC |
| Price Per AC | $272,843.46 CAD |
| Price | $791,246 CAD |
| Price Per AC | $272,843.46 CAD |
| Lot Size | 2.90 AC |
1 1
Fairly walkable
40/100
Exceptionally drivable
100/100
Limited public transit
30/100
Somewhat bikeable
30/100
Property Taxes
| Parcel Number | 323119 | Improvements Assessment | $0 CAD |
| Land Assessment | $598,595 CAD | Total Assessment | $598,595 CAD |
Property Taxes
Parcel Number
323119
Land Assessment
$598,595 CAD
Improvements Assessment
$0 CAD
Total Assessment
$598,595 CAD
1 of 3
Videos
Matterport 3D Exterior
Matterport 3D Tour
Photos
Street View
Street
Map
1 of 1
Presented by
201 Whitney St - 201 Whitney St.
Already a member? Log In
Hmm, there seems to have been an error sending your message. Please try again.
Thanks! Your message was sent.
