Log In/Sign Up
Your email has been sent.
Investment Highlights
- Situated immediately adjacent to Freeway 41
- unparalleled accessibility to major travel routes, ensuring seamless connectivity to employment centers, hospitals, etc
Executive Summary
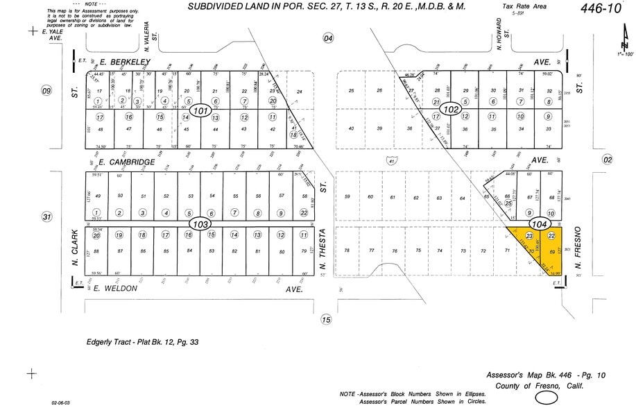
Prime infill opportunity totaling 12,870± SF across two parcels (APNs 446-104-22 and 446-104-23) with mixed zoning—O (Office)and RS-5 (Residential Single-Family, Medium
Density)—offering excellent flexibility for future development. The property is centrally located in Fresno’s established urban core, positioned along N. Fresno Street, a high traffic corridor with outstanding visibility.
Situated immediately adjacent to Freeway 41, the site provides quick and convenient access to major travel routes, employment centers, hospitals, retail, and downtown
Fresno. This location may support a variety of professional office, residential, or potential mixed-use concepts (subject to city approval).
Density)—offering excellent flexibility for future development. The property is centrally located in Fresno’s established urban core, positioned along N. Fresno Street, a high traffic corridor with outstanding visibility.
Situated immediately adjacent to Freeway 41, the site provides quick and convenient access to major travel routes, employment centers, hospitals, retail, and downtown
Fresno. This location may support a variety of professional office, residential, or potential mixed-use concepts (subject to city approval).
Property Facts
| Price | $134,893 CAD | Property Subtype | Commercial |
| Sale Type | Investment | Proposed Use | Commercial |
| No. Lots | 1 | Total Lot Size | 0.30 AC |
| Property Type | Land | No. Stories | 1 |
| Zoning | CP - mixed zoning—O (Office) and RS-5 (Residential Single-Family, Medium Density) | ||
| Price | $134,893 CAD |
| Sale Type | Investment |
| No. Lots | 1 |
| Property Type | Land |
| Property Subtype | Commercial |
| Proposed Use | Commercial |
| Total Lot Size | 0.30 AC |
| No. Stories | 1 |
| Zoning | CP - mixed zoning—O (Office) and RS-5 (Residential Single-Family, Medium Density) |
1 Lot Available
Lot
| Price | $134,893 CAD | Lot Size | 0.30 AC |
| Price Per AC | $456,560.22 CAD |
| Price | $134,893 CAD |
| Price Per AC | $456,560.22 CAD |
| Lot Size | 0.30 AC |
Description
This 12,870± SF site offers exceptional flexibility for future development with mixed zoning that supports both office and residential uses. Centrally located in Fresno’s established urban core, the property sits along N. Fresno Street—a high-traffic corridor that provides outstanding visibility and easy access to major routes, employment centers, retail, and downtown Fresno. Perfect for developers seeking a strategic location with strong growth potential.
1 1
Walk Score®
Very Walkable (78)
Property Taxes
| Parcel Numbers | Improvements Assessment | $0 CAD | |
| Land Assessment | $142,664 CAD | Total Assessment | $142,664 CAD |
Property Taxes
Parcel Numbers
Land Assessment
$142,664 CAD
Improvements Assessment
$0 CAD
Total Assessment
$142,664 CAD
1 of 3
Videos
Matterport 3D Exterior
Matterport 3D Tour
Photos
Street View
Street
Map
1 of 1
Presented by
2021 N Fresno St
Already a member? Log In
Hmm, there seems to have been an error sending your message. Please try again.
Thanks! Your message was sent.
Your message has been sent!
Activate your LoopNet account now to track properties, get real-time alerts, save time on future inquiries, and more.


