Log In/Sign Up
Your email has been sent.
Executive Summary
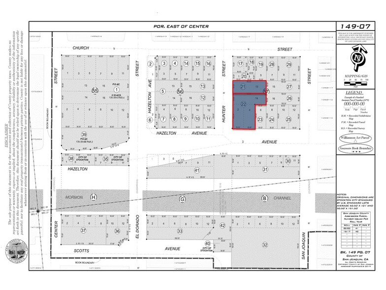
Two lots being sold together for a total of 0.57 AC. List price includes both 203 E Hazelton Ave: 149-070-22 (0.40 AC) and 520 S Hunter St: 149-070-21 (0.17 AC).
Freeway visibility, with approximately 141,419 ADT
Immediate freeway access
Previously approved for 20 multi-tenant units, or 4 single family units with split.
Retail commercial uses allowed
Close to nearby retailers, residential and industrial.
Freeway visibility, with approximately 141,419 ADT
Immediate freeway access
Previously approved for 20 multi-tenant units, or 4 single family units with split.
Retail commercial uses allowed
Close to nearby retailers, residential and industrial.
Property Facts
1 Lot Available
Lot
| Price | $545,704 CAD | Lot Size | 0.57 AC |
| Price Per AC | $957,375.97 CAD |
| Price | $545,704 CAD |
| Price Per AC | $957,375.97 CAD |
| Lot Size | 0.57 AC |
Two lots being sold together for a total of 0.57 AC. List price includes both 203 E Hazelton Ave: 149-070-22 (0.40 AC) and 520 S Hunter St: 149-070-21 (0.17 AC).
1 1
Moderately walkable
60/100
Very drivable
80/100
Some public transit
40/100
Fairly bikeable
40/100
Property Taxes
| Parcel Number | 149-070-22 | Improvements Assessment | $385,428 CAD |
| Land Assessment | $220,245 CAD | Total Assessment | $605,673 CAD |
Property Taxes
Parcel Number
149-070-22
Land Assessment
$220,245 CAD
Improvements Assessment
$385,428 CAD
Total Assessment
$605,673 CAD
1 of 4
Videos
Matterport 3D Exterior
Matterport 3D Tour
Photos
Street View
Street
Map
1 of 1
Presented by
203 E Hazelton Ave
Already a member? Log In
Hmm, there seems to have been an error sending your message. Please try again.
Thanks! Your message was sent.



