Log In/Sign Up
Your email has been sent.
EXECUTIVE SUMMARY
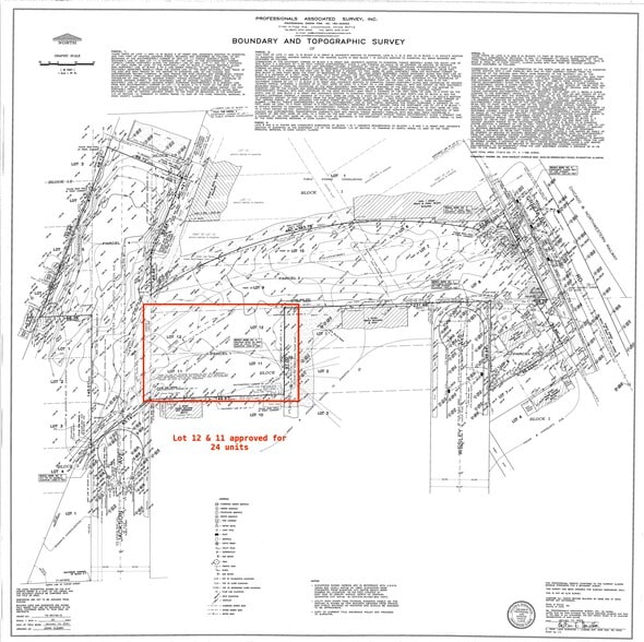
Extraordinary opportunity to develop almost 2 acres in Evanston! This parcel is one of two parcels being sold along with 2017 Jackson which has already received zoning approval for a 24 unit apartment building. (see MLS number 12199414). The parcel at 2044 Wesley represents approximately 53,000 square feet of land zoned R4. The potential here is for 64 to 114 units in total with a 15% affordable requirement by inclusionary Housing Ordinance (IHO). Up to 55% building coverage is allowed; up to 70% lot coverage allowed with bonus. The height allowance of-right is 35 feet + 12 additional feet with bonus - making for 47 ft height allowance. Planned development required by the city of Evanston. Property is located in the West Evanston TIF. Situated just off the intersection of Greenbay Rd and Foster, this location is unmatched for renters! Drawing from Northwestern University, Northshore Hospital, Rotary International Headquarters, ZS Associates and many more. This location is a short walk to downtown Evanston and a 12 min walk to the Metra station. Surrounding attractions include Double Clutch brewery soul and smoke restaurant, Walgreens, Hecky's, Hills Artistic, a skate board park, bike paths and parks. Check "additional information" tab for additional documentation. Call for further details.
PROPERTY FACTS
1 LOT AVAILABLE
Lot
| Price | $2,744,263 CAD | Lot Size | 1.22 AC |
| Price Per AC | $2,255,474.27 CAD |
| Price | $2,744,263 CAD |
| Price Per AC | $2,255,474.27 CAD |
| Lot Size | 1.22 AC |
Extraordinary opportunity to develop almost 2 acres in Evanston! This parcel is one of two parcels being sold, this parcel along with 2017 Jackson which has already received zoning approval for a 24 unit apartment building. (see MLS number 12199414).
1 1
Walk Score®
Very Walkable (84)
Bike Score®
Biker's Paradise (96)
PROPERTY TAXES
| Parcel Numbers | Improvements Assessment | $0 CAD | |
| Land Assessment | $516,656 CAD | Total Assessment | $516,656 CAD |
PROPERTY TAXES
Parcel Numbers
Land Assessment
$516,656 CAD
Improvements Assessment
$0 CAD
Total Assessment
$516,656 CAD
1 of 4
VIDEOS
MATTERPORT 3D EXTERIOR
MATTERPORT 3D TOUR
PHOTOS
STREET VIEW
STREET
MAP
1 of 1
Presented by
2044 Wesley Ave
Already a member? Log In
Hmm, there seems to have been an error sending your message. Please try again.
Thanks! Your message was sent.



