Log In/Sign Up
Your email has been sent.
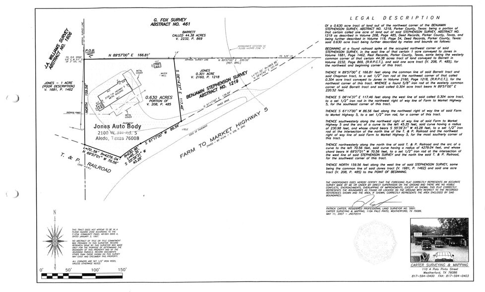
Jones Body Shop 2101 FM 5 7,118 SF 100% Leased Industrial Building Aledo, TX 76008 $825,123 CAD ($115.92 CAD/SF)


Executive Summary
FOR SALE | 0.93 ACRES WITH 6,000 SF SHOP + RESIDENTIAL STRUCTURE
2102 S FM 5 | $599,000
Rare opportunity to acquire a fully functional commercial property in the growing corridor of Annetta South. This unique offering includes 0.93 acres across two contiguous parcels, featuring a 6,000 SF auto body/warehouse facility and an 1,118 SF single-family residence (2 bed / 1 bath), ideal for office or supplemental use.
The property is zoned warehouse, allowing for continued commercial operations, and is well-suited for a variety of owner-user businesses including automotive, contractor, service, or light industrial uses. The combination of yard space, large shop, and secondary structure provides flexibility that is increasingly difficult to find in this area.
The existing residence offers additional utility as office space, employee housing, or storage, further enhancing the functionality of the site.
Investment Highlights:
0.93 acres (two parcels sold together)
±6,000 SF warehouse / auto body shop
±1,118 SF residential structure (2 bed / 1 bath)
Warehouse zoning in place
Ample yard space for equipment, storage, or expansion
Ideal for owner-user or investor
Additional Opportunity:
Seller is open to a potential leaseback, providing an opportunity for immediate income; however, the property can also be delivered vacant if desired.
Zoning & Use:
Property is currently zoned for warehouse use. Buyers are encouraged to independently verify all zoning and permitted uses. For any potential changes or alternate use considerations, please contact the Annetta North directly.
2102 S FM 5 | $599,000
Rare opportunity to acquire a fully functional commercial property in the growing corridor of Annetta South. This unique offering includes 0.93 acres across two contiguous parcels, featuring a 6,000 SF auto body/warehouse facility and an 1,118 SF single-family residence (2 bed / 1 bath), ideal for office or supplemental use.
The property is zoned warehouse, allowing for continued commercial operations, and is well-suited for a variety of owner-user businesses including automotive, contractor, service, or light industrial uses. The combination of yard space, large shop, and secondary structure provides flexibility that is increasingly difficult to find in this area.
The existing residence offers additional utility as office space, employee housing, or storage, further enhancing the functionality of the site.
Investment Highlights:
0.93 acres (two parcels sold together)
±6,000 SF warehouse / auto body shop
±1,118 SF residential structure (2 bed / 1 bath)
Warehouse zoning in place
Ample yard space for equipment, storage, or expansion
Ideal for owner-user or investor
Additional Opportunity:
Seller is open to a potential leaseback, providing an opportunity for immediate income; however, the property can also be delivered vacant if desired.
Zoning & Use:
Property is currently zoned for warehouse use. Buyers are encouraged to independently verify all zoning and permitted uses. For any potential changes or alternate use considerations, please contact the Annetta North directly.
Property Facts
| Price | $825,123 CAD | Rentable Building Area | 7,118 SF |
| Price Per SF | $115.92 CAD | No. Stories | 1 |
| Sale Type | Investment or Owner User | Year Built | 1998 |
| Property Type | Industrial |
| Price | $825,123 CAD |
| Price Per SF | $115.92 CAD |
| Sale Type | Investment or Owner User |
| Property Type | Industrial |
| Rentable Building Area | 7,118 SF |
| No. Stories | 1 |
| Year Built | 1998 |
1 1
Not walkable
10/100
Exceptionally drivable
90/100
Somewhat bikeable
30/100
1 of 3
Videos
Matterport 3D Exterior
Matterport 3D Tour
Photos
Street View
Street
Map
1 of 1
Presented by
Jones Body Shop | 2101 FM 5
Already a member? Log In
Hmm, there seems to have been an error sending your message. Please try again.
Thanks! Your message was sent.
