Your email has been sent.
215 Cathill rd - Bucks County Industrial Land 40 Acres of Industrial Land in Sellersville, PA 18960


INVESTMENT HIGHLIGHTS
- By-Right Zoning Optionality
- Excellent Labor Pool
- Access to US 309 & I-476
- Limited Surrounding Industrial Availabilities
- Public Water & Sewer
- Still Time To Customize - Build - to - Suit
EXECUTIVE SUMMARY
PROPERTY FACTS
1 LOT AVAILABLE
Lot
| Lot Size | 40.00 AC |
| Lot Size | 40.00 AC |
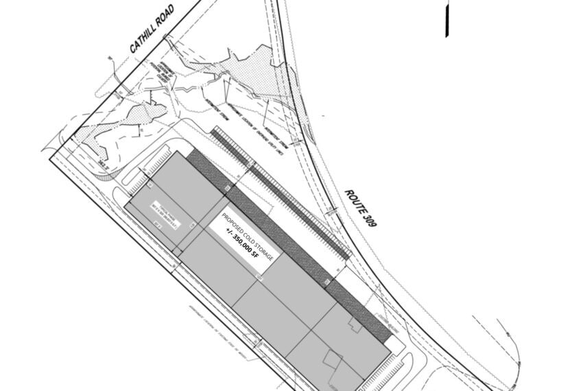
An ideal location for our proposed warehouse/distribution center, this property is located in Bucks County, PA just minutes from Philadelphia, ~2 mile from Route 309 with access to I-476, I-78 & I-276 in Eastern PA.
DESCRIPTION
Situated adjacent to U.S. Route 309 between the Lehigh Valley and Philadelphia, the Property benefits from its proximity to two of Pennsylvania’s largest MSA populations. Further, the 309 connector project is underway and will provide direct access from U.S. Route 309 to the Lansdale interchange of I-476, which will be a significant logistical advancement. By-Right Zoning Optionality Located in the ‘Planned Industrial (PI)’ zoning district, allowing for several attractive uses by-right, including but not limited to the following: Manufacturing; Wholesale Business and Warehouse; Truck Terminal; (IOS) Outdoor Storage or Display; Excellent Labor Pool 215 Cathill Road is a member of renowned, Bucks County, Pennsylvania. The Property is accessible to nearly 700,000 people within a 30-minute drive, offering excellent labor density for subsequent ownership. Limited Surrounding Industrial Availabilities Neighboring submarkets including Quakertown, Souderton, Montgomeryville, and Lansdale boast an average vacancy rate of just 2.1%, indicating the strength of the region and creating an attractive opportunity to benefit from the overflow of investors and operators alike and their subsequent flight to quality assets Quakertown - 3,865,207 SF inventory with 3.5% vacancy rate Souderton - 6,429,634 SF inventory with 3.2% vacancy rate Lansdale - 7,353,402 SF inventory with 0.2% vacancy rate Montgomeryville - 6,158,846 SF inventory with 1.5% vacancy rate
Presented by
215 Cathill rd - Bucks County Industrial Land
Hmm, there seems to have been an error sending your message. Please try again.
Thanks! Your message was sent.
