Log In/Sign Up
Your email has been sent.
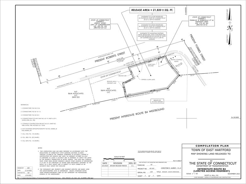
215 Forbes @ Roberts Street st - Public Bid Item No. 866-STILL AVAILABLE 0.5 Acres of Commercial Land Offered at $76,038 CAD in East Hartford, CT 06108



EXECUTIVE SUMMARY
ASKING PRICE: $55,000.00*
DEPOSIT: 10% to be submitted with bid by a bank or certified check made payable to “Treasurer, State of Connecticut”
*A $1,000.00 administrative fee will be collected at closing.
*PROPERTY IS STILL AVAILABLE*
All properties are subject to the municipality’s right of first refusal, as stated in Connecticut General Statute 3-14b, and to any state of fact as may appear of record or any inspection of the property may disclose.
More information may be obtained at the Connecticut Department of Transportation, Property Management Section, 2800 Berlin Turnpike, P.O. Box 317546, Newington, Connecticut 06131-7546 or by calling Ms. Christie A. LaBella at (860) 594-2465 or by email: christie.labella@ct.gov
- PLEASE NOTE –
All properties inclusive of the real property and all buildings and improvements situated thereon, if any, shall be sold in their "AS IS" CONDITION. The State shall not make any warranties or representations whatsoever. Each bidder shall be solely responsible for inspecting all public records, inspecting the subject premises and drawing his own conclusions. The information contained within the bid and from all officers, agents and employees of the State has been obtained from the State's records and the State makes no warranties or representations as to the accuracy or completeness of this information. Nothing within this bid package may be construed as an expressed or implied warranty, representation or a waiver or limitation of the State's sovereign immunity.
The State reserves the right to accept or reject any or all bids, and to withdraw this invitation to bid at any time before or after bids are opened. It also reserves the right to negotiate with the highest bidder prior to acceptance or rejection of bids or its withdrawal of this invitation.
DEPOSIT: 10% to be submitted with bid by a bank or certified check made payable to “Treasurer, State of Connecticut”
*A $1,000.00 administrative fee will be collected at closing.
*PROPERTY IS STILL AVAILABLE*
All properties are subject to the municipality’s right of first refusal, as stated in Connecticut General Statute 3-14b, and to any state of fact as may appear of record or any inspection of the property may disclose.
More information may be obtained at the Connecticut Department of Transportation, Property Management Section, 2800 Berlin Turnpike, P.O. Box 317546, Newington, Connecticut 06131-7546 or by calling Ms. Christie A. LaBella at (860) 594-2465 or by email: christie.labella@ct.gov
- PLEASE NOTE –
All properties inclusive of the real property and all buildings and improvements situated thereon, if any, shall be sold in their "AS IS" CONDITION. The State shall not make any warranties or representations whatsoever. Each bidder shall be solely responsible for inspecting all public records, inspecting the subject premises and drawing his own conclusions. The information contained within the bid and from all officers, agents and employees of the State has been obtained from the State's records and the State makes no warranties or representations as to the accuracy or completeness of this information. Nothing within this bid package may be construed as an expressed or implied warranty, representation or a waiver or limitation of the State's sovereign immunity.
The State reserves the right to accept or reject any or all bids, and to withdraw this invitation to bid at any time before or after bids are opened. It also reserves the right to negotiate with the highest bidder prior to acceptance or rejection of bids or its withdrawal of this invitation.
PROPERTY FACTS
| Price | $76,038 CAD | Property Subtype | Commercial |
| Sale Type | Investment or Owner User | Proposed Use | Commercial |
| No. Lots | 1 | Total Lot Size | 0.50 AC |
| Property Type | Land | Opportunity Zone |
Yes
|
| Zoning | I-2 - land for specific uses, such as agriculture, residential, and commercial | ||
| Price | $76,038 CAD |
| Sale Type | Investment or Owner User |
| No. Lots | 1 |
| Property Type | Land |
| Property Subtype | Commercial |
| Proposed Use | Commercial |
| Total Lot Size | 0.50 AC |
| Opportunity Zone |
Yes |
| Zoning | I-2 - land for specific uses, such as agriculture, residential, and commercial |
1 LOT AVAILABLE
Lot
| Price | $76,038 CAD | Lot Size | 0.50 AC |
| Price Per AC | $151,796.31 CAD |
| Price | $76,038 CAD |
| Price Per AC | $151,796.31 CAD |
| Lot Size | 0.50 AC |
LOCATION: 215 Forbes Street @ Roberts Street (northerly side of Interstate Route 84-Westbound) LOT SIZE: 21,820± square feet of vacant land ZONE: Industry 2 - I-2 Zone PUBLIC UTILITIES: City Water/City Sewer in the vicinity (buyer must confirm)
1 1
1 of 5
VIDEOS
MATTERPORT 3D EXTERIOR
MATTERPORT 3D TOUR
PHOTOS
STREET VIEW
STREET
MAP
1 of 1
Presented by
215 Forbes @ Roberts Street st - Public Bid Item No. 866-STILL AVAILABLE
Already a member? Log In
Hmm, there seems to have been an error sending your message. Please try again.
Thanks! Your message was sent.
