Log In/Sign Up
Your email has been sent.
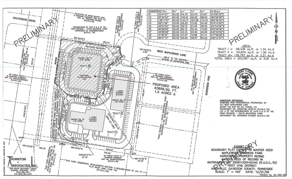
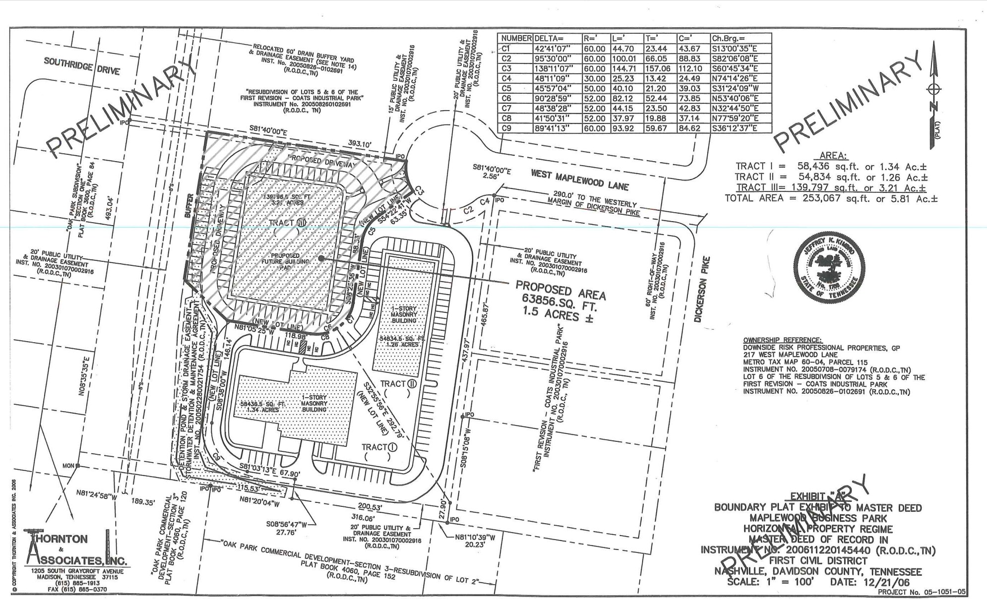
1.6ac Commercial Building Lot 215 W Maplewood Ln 24,000 SF 100% Leased Office Building Nashville, TN 37207 $1,945,324 CAD ($81.06 CAD/SF)



Investment Highlights
- Secure Area
- Great Parking
- Perfect for commercial or MOB development
- Easy Access to I-65
- Close to Hospital
- Abundant Parking
Executive Summary
Commercial Lot Ready for Development
1.6ac building lot For Sale - 215 West Maplewood Lane is build ready.
Easy Access from I-65
Secure location
All Utilities To Site
Drainage, Storm-water collection and Off Site Retention in Place
Ready To Build
1.6ac building lot For Sale - 215 West Maplewood Lane is build ready.
Easy Access from I-65
Secure location
All Utilities To Site
Drainage, Storm-water collection and Off Site Retention in Place
Ready To Build
Property Facts Under Contract
Sale Type
Investment
Sale Conditions
Property Type
Building Size
24,000 SF
Building Class
B
Year Built
2027
Construction Status
Proposed
Price
$1,945,324 CAD
Price Per SF
$81.06 CAD
Percent Leased
100%
Tenancy
Multiple
Building Height
3 Stories
Typical Floor Size
8,000 SF
Building FAR
0.17
Lot Size
3.20 AC
Zoning
COM
Amenities
- Bus Line
- Air Conditioning
About 215 W MAPLEWOOD LN , NASHVILLE, TN 37207
215 West Maplewood Lane is a 3.2ac development lot for build-to-suit, owner-user or investor opportunity. All utilities are in place as well as storm water collection infrastructure and off-site retention. Contact agent at 615-525-5719 for more details.
1 1
Property Taxes
| Parcel Number | 060-04-0A-300-00 | Improvements Assessment | $0 CAD |
| Land Assessment | $823,062 CAD | Total Assessment | $823,062 CAD |
Property Taxes
Parcel Number
060-04-0A-300-00
Land Assessment
$823,062 CAD
Improvements Assessment
$0 CAD
Total Assessment
$823,062 CAD
1 of 4
Videos
Matterport 3D Exterior
Matterport 3D Tour
Photos
Street View
Street
Map
1 of 1
Presented by
1.6ac Commercial Building Lot | 215 W Maplewood Ln
Already a member? Log In
Hmm, there seems to have been an error sending your message. Please try again.
Thanks! Your message was sent.
Your message has been sent!
Activate your LoopNet account now to track properties, get real-time alerts, save time on future inquiries, and more.
