Log In/Sign Up
Your email has been sent.
21603 Thomas Cv / Boggy Ford/Santa Carlo 2 Properties Offered at $1,765,400 CAD in Multiple Locations



Executive Summary
R4 zoning. 3.6 flat acres. 45 minutes from Austin. The site plan is already done.
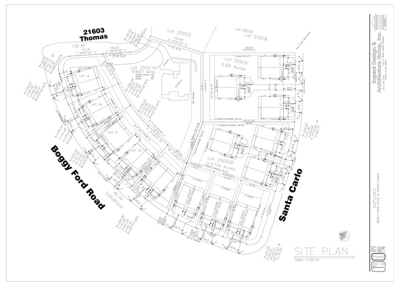
Two contiguous parcels steps from Lake Travis with R4 multifamily zoning, flat cleared land, utilities in place, and a conceptual site plan already prepared by a licensed architect — showing duplex development across multiple lots with Boggy Ford Road and Santa Carlo frontage.
A developer who buys this site skips months of planning work. The layout is done. The land is ready. The only thing missing is you.
The existing 2,445 SF custom home generates holding income while permitting moves forward. Lease it furnished at Lake Travis short-term rental rates and the asset pays for itself during your development timeline.
This is not a raw land play. This is a permitted-ready R4 development site 45 minutes from Austin with Lake Travis views, a luxury home included, and a developer's head start already built in.
Motivated seller. Priced to close.
Key Facts: — 3.6 acres | 2 contiguous parcels — R4 multifamily zoning — Boggy Ford Road + Santa Carlo dual frontage — Architect-prepared site plan available — duplex layout across multiple lots — Flat, cleared, utilities in place — Existing 2,445 SF custom home — income-producing during development — Lake Travis & Hill Country views — 45 minutes from Austin — Rate buydown to 3.99% available through preferred lender
Two contiguous parcels steps from Lake Travis with R4 multifamily zoning, flat cleared land, utilities in place, and a conceptual site plan already prepared by a licensed architect — showing duplex development across multiple lots with Boggy Ford Road and Santa Carlo frontage.
A developer who buys this site skips months of planning work. The layout is done. The land is ready. The only thing missing is you.
The existing 2,445 SF custom home generates holding income while permitting moves forward. Lease it furnished at Lake Travis short-term rental rates and the asset pays for itself during your development timeline.
This is not a raw land play. This is a permitted-ready R4 development site 45 minutes from Austin with Lake Travis views, a luxury home included, and a developer's head start already built in.
Motivated seller. Priced to close.
Key Facts: — 3.6 acres | 2 contiguous parcels — R4 multifamily zoning — Boggy Ford Road + Santa Carlo dual frontage — Architect-prepared site plan available — duplex layout across multiple lots — Flat, cleared, utilities in place — Existing 2,445 SF custom home — income-producing during development — Lake Travis & Hill Country views — 45 minutes from Austin — Rate buydown to 3.99% available through preferred lender
Property Facts
| Price | $1,765,400 CAD | Number of Properties | 2 |
| Price / SF | $722.05 CAD / SF | Individually For Sale | 0 |
| Sale Type | Investment | Total Building Size | 2,445 SF |
| Status | Active | Total Land Area | 5.34 AC |
| Price | $1,765,400 CAD |
| Price / SF | $722.05 CAD / SF |
| Sale Type | Investment |
| Status | Active |
| Number of Properties | 2 |
| Individually For Sale | 0 |
| Total Building Size | 2,445 SF |
| Total Land Area | 5.34 AC |
Properties
| Property Name / Address | Property Type | Size | Year Built | Individual Price |
|---|---|---|---|---|
| TBD Boggy Ford Rd, Lago Vista, TX 78645 | Land | 3.60 AC | - | - |
| 21603 Thomas Cv, Leander, TX 78645 | Specialty | 2,445 SF | 2019 | - |
1 1
1 of 15
Videos
Matterport 3D Exterior
Matterport 3D Tour
Photos
Street View
Street
Map
1 of 1
Presented by
RE/MAX Suburbia
21603 Thomas Cv / Boggy Ford/Santa Carlo
Already a member? Log In
Hmm, there seems to have been an error sending your message. Please try again.
Thanks! Your message was sent.
