Log In/Sign Up
Your email has been sent.
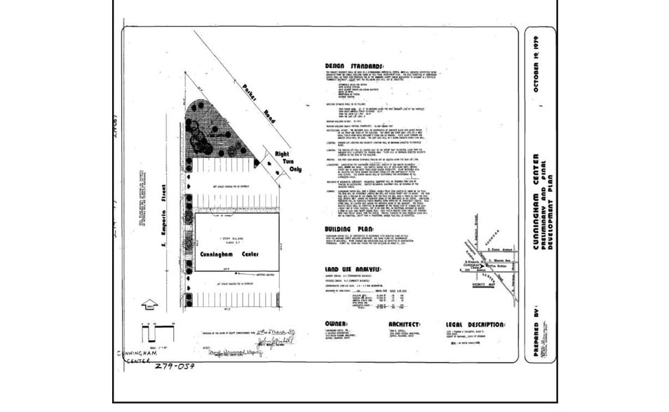
Cunningham Center 2199 S Parker Rd 10,100 SF 80% Leased Retail Building Denver, CO 80231 $4,141,980 CAD ($410.10 CAD/SF) 6.97% Cap Rate



Investment Highlights
- Located near major retail anchors and national tenants, offering strong synergy with existing destination traffic.
- Positioned in a market with solid economic fundamentals and consistent consumer demand, supporting long-term asset performance.
- Easy access to public transportation and major highways, enhancing convenience for both customers and employees.
Executive Summary
2199 S Parker Rd is a premier commercial offering located on one of Denver’s most trafficked arterial corridors, presenting rare visibility and accessibility in the southeast submarket. Positioned on approximately 0.84 acres with 10,100 sq ft of retail-zoned space, this property benefits from strong traffic counts, dense nearby residential populations, and proximity to key retail and employment hubs — attributes that enhance long-term investment stability and leasing potential. Strategically zoned B-1 and priced at $3,000,000, the site offers flexibility for owner-occupiers or investors seeking a highly visible presence along a major thoroughfare with robust commercial demand
Property Facts
Sale Type
Investment
Property Type
Retail
Property Subtype
Storefront
Building Size
10,100 SF
Building Class
C
Year Built
1983
Price
$4,141,980 CAD
Price Per SF
$410.10 CAD
Cap Rate
6.97%
NOI
$288,552 CAD
Percent Leased
80%
Tenancy
Multiple
Building Height
1 Story
Building FAR
0.28
Lot Size
0.84 AC
Zoning
B-1, Denver
Parking
41 Spaces (4.06 Spaces per 1,000 SF Leased)
Frontage
Major Tenants
- Tenant
- Industry
- SF Occupied
- Rent/SF
- Lease End
- Anna Fabricator Inc
- Retailer
- -
- -
- -
| Tenant | Industry | SF Occupied | Rent/SF | Lease End | ||
| Anna Fabricator Inc | Retailer | - | - | - |
Space Availability
- Space
- Size
- Space Use
- Position
- Available
- 1st Floor
- 2,000 SF
- Retail
- -
- Now
| Space | Size | Space Use | Position | Available |
| 1st Floor | 2,000 SF | Retail | - | Now |
1st Floor
| Size |
| 2,000 SF |
| Space Use |
| Retail |
| Position |
| - |
| Available |
| Now |
Fairly walkable
50/100
Very drivable
80/100
Some public transit
40/100
Fairly bikeable
50/100
Nearby Major Retailers
Property Taxes
| Parcel Number | 1973-27-1-02-010 | Improvements Assessment | $0 CAD |
| Land Assessment | $0 CAD | Total Assessment | $1,651 CAD |
Property Taxes
Parcel Number
1973-27-1-02-010
Land Assessment
$0 CAD
Improvements Assessment
$0 CAD
Total Assessment
$1,651 CAD
1 of 13
Videos
Matterport 3D Exterior
Matterport 3D Tour
Photos
Street View
Street
Map
Presented by
Cunningham Center | 2199 S Parker Rd
Already a member? Log In
Hmm, there seems to have been an error sending your message. Please try again.
Thanks! Your message was sent.
