Your email has been sent.
220 26 St 1.12 - 1.5 Acre Commercial Land Lots Offered at $308,000 - $397,500 CAD Per Lot in Edson, AB T7E 1C2


Investment Highlights
- Excellent access off HWY 16 (Yellowhead)
- Fully serviced lots
Executive Summary
and the off-site levies have been paid.Excellent access off HWY 16 (Yellowhead).
Property Facts
| Price | $308,000 - $1,063,250 CAD | Property Subtype | Commercial |
| Sale Type | Investment or Owner User | Proposed Use | Industrial |
| No. Lots | 3 | Total Lot Size | 3.97 AC |
| Property Type | Land | ||
| Zoning | IL - Light Industrial | ||
| Price | $308,000 - $1,063,250 CAD |
| Sale Type | Investment or Owner User |
| No. Lots | 3 |
| Property Type | Land |
| Property Subtype | Commercial |
| Proposed Use | Industrial |
| Total Lot Size | 3.97 AC |
| Zoning | IL - Light Industrial |
3 Lots Available
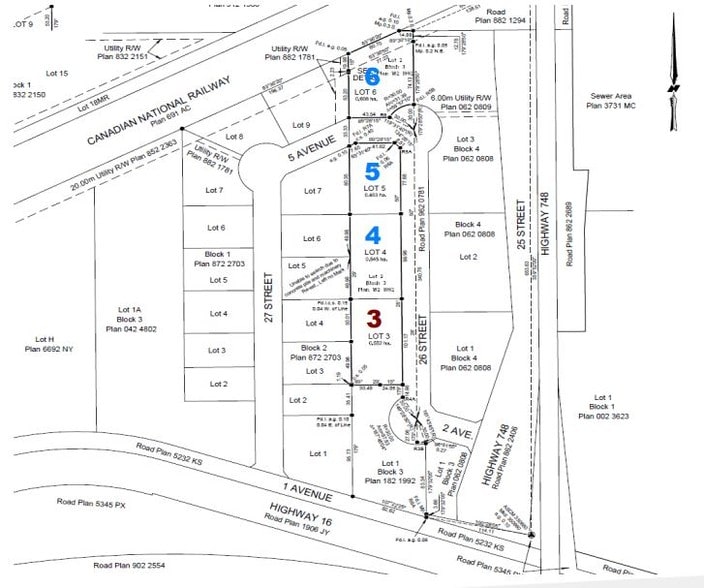
Lot 4
| Price | $357,750 CAD | Lot Size | 1.35 AC |
| Price Per AC | $265,000.00 CAD |
| Price | $357,750 CAD |
| Price Per AC | $265,000.00 CAD |
| Lot Size | 1.35 AC |
Four serviced light industrial lots available for sale in Edson, Alberta. Lots are fully serviced to the lot line, subdivision has been approved and the off-site levies have been paid. Excellent access off HWY 16 (Yellowhead).
Lot 5
| Price | $308,000 CAD | Lot Size | 1.12 AC |
| Price Per AC | $275,000.00 CAD |
| Price | $308,000 CAD |
| Price Per AC | $275,000.00 CAD |
| Lot Size | 1.12 AC |
Four serviced light industrial lots available for sale in Edson, Alberta. Lots are fully serviced to the lot line, subdivision has been approved and the off-site levies have been paid. Excellent access off HWY 16 (Yellowhead).
Lot 6
| Price | $397,500 CAD | Lot Size | 1.50 AC |
| Price Per AC | $265,000.00 CAD |
| Price | $397,500 CAD |
| Price Per AC | $265,000.00 CAD |
| Lot Size | 1.50 AC |
Four serviced light industrial lots available for sale in Edson, Alberta. Lots are fully serviced to the lot line, subdivision has been approved and the off-site levies have been paid.Excellent access off HWY 16 (Yellowhead).
Description
Four serviced light industrial lots in Edson, Alberta.
Presented by
220 26 St
Hmm, there seems to have been an error sending your message. Please try again.
Thanks! Your message was sent.
