Log In/Sign Up
Your email has been sent.
220 W Edmundson Ave - West Edmundson Development Project-8 Lots 2.39 Acres of Residential Land Offered at $4,983,228 CAD in Morgan Hill, CA 95037



Investment Highlights
- Desirable West-Side Location: Strong buyer demand and established neighborhood appeal
- Supply-Constrained Market: Limited new single-family housing inventory in Morgan Hill
- Efficient Scale: Boutique 8-lot project ideal for small-to-mid size builders and investors
- Accelerated Timeline: Seller to deliver Final Map within +-3 months, reducing entitlement risk and costs
- Premium Product: Large lots and 5-bed/5 bath homes designed for today’s family buyer
Executive Summary
220 West Edmundson presents a rare opportunity to acquire a near shovel-ready residential development in the highly desirable west-side submarket of Morgan Hill. The project consists of 8 single-family residential lots with spacious parcel sizes and thoughtfully designed home plans tailored to strong end-user demand.
The Seller has secured an approved Tentative Map and is in the process of completing the Final Map, which is expected to be ready for recordation within approximately three (3) months, offering a significantly reduced entitlement timeline for the Buyer.
Location & Amenities:The project is ideally situated directly across from the Morgan Hill Centennial Recreation Center, providing immediate access to premier recreational amenities including sports courts, open space, and a dog park.Additionally, the property is located just minutes from Tennant Station, offering convenient access to grocery stores, restaurants, retail, and entertainment. The surrounding neighborhood is characterized by established residential communities, strong schools, and proximity to major commuter routes serving Silicon Valley.
220 West Edmundson offers investors and builders the ability to capitalize on a well-located, entitlement-advanced residential project in a high-demand Silicon Valley submarket. With minimal remaining entitlement work and thoughtfully designed home plans, the project is positioned for a streamlined transition into vertical development and strong absorption upon completion.
The Seller has secured an approved Tentative Map and is in the process of completing the Final Map, which is expected to be ready for recordation within approximately three (3) months, offering a significantly reduced entitlement timeline for the Buyer.
Location & Amenities:The project is ideally situated directly across from the Morgan Hill Centennial Recreation Center, providing immediate access to premier recreational amenities including sports courts, open space, and a dog park.Additionally, the property is located just minutes from Tennant Station, offering convenient access to grocery stores, restaurants, retail, and entertainment. The surrounding neighborhood is characterized by established residential communities, strong schools, and proximity to major commuter routes serving Silicon Valley.
220 West Edmundson offers investors and builders the ability to capitalize on a well-located, entitlement-advanced residential project in a high-demand Silicon Valley submarket. With minimal remaining entitlement work and thoughtfully designed home plans, the project is positioned for a streamlined transition into vertical development and strong absorption upon completion.
Property Facts
| Price | $4,983,228 CAD | Property Subtype | Residential |
| Sale Type | Investment or Owner User | Proposed Use | Single Family Development |
| No. Lots | 1 | Total Lot Size | 2.39 AC |
| Property Type | Land |
| Price | $4,983,228 CAD |
| Sale Type | Investment or Owner User |
| No. Lots | 1 |
| Property Type | Land |
| Property Subtype | Residential |
| Proposed Use | Single Family Development |
| Total Lot Size | 2.39 AC |
1 Lot Available
Lot
| Price | $4,983,228 CAD | Lot Size | 2.39 AC |
| Price Per AC | $2,085,032.66 CAD |
| Price | $4,983,228 CAD |
| Price Per AC | $2,085,032.66 CAD |
| Lot Size | 2.39 AC |
Description
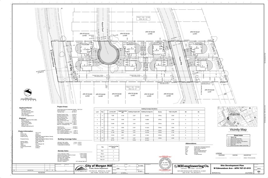
Property Overview Project Name: 220 West Edmundson Location: West side of Morgan Hill Product Type: Single-Family Residential Development Number of Lots: 8 Lot Sizes: Up to 13,894± SF Home Sizes: 2,794 – 2,904± SF Floorplans: Two seperate floorplans each with 5 Bedrooms / 4 Bathrooms Status: Approved Tentative Map; Final Map Pending (˜3 months) Broker Commission: Any Broker representing the Buyer shall be compensated solely by the Buyer, and not by the Seller.
1 1
Fairly walkable
50/100
Exceptionally drivable
100/100
Limited public transit
30/100
Moderately bikeable
60/100
Property Taxes
| Parcel Number | 767-21-015 | Improvements Assessment | $0 CAD |
| Land Assessment | $2,132,757 CAD | Total Assessment | $2,132,757 CAD |
Property Taxes
Parcel Number
767-21-015
Land Assessment
$2,132,757 CAD
Improvements Assessment
$0 CAD
Total Assessment
$2,132,757 CAD
1 of 7
Videos
Matterport 3D Exterior
Matterport 3D Tour
Photos
Street View
Street
Map
1 of 1
Presented by
220 W Edmundson Ave - West Edmundson Development Project-8 Lots
Already a member? Log In
Hmm, there seems to have been an error sending your message. Please try again.
Thanks! Your message was sent.
