Your email has been sent.
Highlights
- Very active center with long-term tenants, freeway visibility, great image and identity
- Click on available space details below for additional info and photos
Space Availability (1)
Display Rental Rate as
- Space
- Size
- Term
- Rental Rate
- Rent Type
| Space | Size | Term | Rental Rate | Rent Type | ||
| 1st Floor, Ste 2245 | 3,353 SF | 5-20 Years | $26.89 CAD/SF/YR $2.24 CAD/SF/MO $90,157 CAD/YR $7,513 CAD/MO | Triple Net (NNN) |
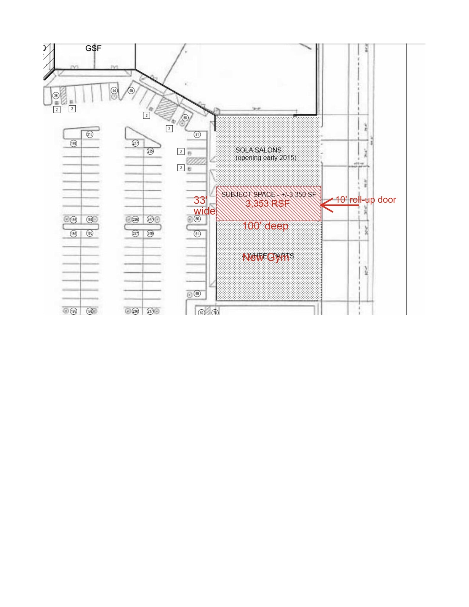
2211-2249 E Garvey Ave N - 1st Floor - Ste 2245
2245 E. Garvey Ave. N. is a rare smaller space now available in the very active Covina Palms Center. Currently in shell condition, the space was previously a part of the adjacent business and used as a storeroom. A restroom was removed and a 10' roll up door installed in the rear of the space. Covina Palms allows a wide range of uses and current tenants include office, medical, educational and personal services tenants. A lease for this space will also include a panel on the freeway-oriented pylon sign for excellent visibility and image. Tenant improvement allowance is negotiable based on other proposed lease terms.
- Lease rate does not include utilities, property expenses or building services
- Located in-line with other retail
- Central Air and Heating
- High Ceilings
- Exposed Ceiling
- After Hours HVAC Available
- Great 3,353 SF Space with Freeway Pylon Signage!
Rent Types
The rent amount and type that the tenant (lessee) will be responsible to pay to the landlord (lessor) throughout the lease term is negotiated prior to both parties signing a lease agreement. The rent type will vary depending upon the services provided. For example, triple net rents are typically lower than full service rents due to additional expenses the tenant is required to pay in addition to the base rent. Contact the listing broker for a full understanding of any associated costs or additional expenses for each rent type.
1. Full Service: A rental rate that includes normal building standard services as provided by the landlord within a base year rental.
2. Double Net (NN): Tenant pays for only two of the building expenses; the landlord and tenant determine the specific expenses prior to signing the lease agreement.
3. Triple Net (NNN): A lease in which the tenant is responsible for all expenses associated with their proportional share of occupancy of the building.
4. Modified Gross: Modified Gross is a general type of lease rate where typically the tenant will be responsible for their proportional share of one or more of the expenses. The landlord will pay the remaining expenses. See the below list of common Modified Gross rental rate structures: 4. Plus All Utilities: A type of Modified Gross Lease where the tenant is responsible for their proportional share of utilities in addition to the rent. 4. Plus Cleaning: A type of Modified Gross Lease where the tenant is responsible for their proportional share of cleaning in addition to the rent. 4. Plus Electric: A type of Modified Gross Lease where the tenant is responsible for their proportional share of the electrical cost in addition to the rent. 4. Plus Electric & Cleaning: A type of Modified Gross Lease where the tenant is responsible for their proportional share of the electrical and cleaning cost in addition to the rent. 4. Plus Utilities and Char: A type of Modified Gross Lease where the tenant is responsible for their proportional share of the utilities and cleaning cost in addition to the rent. 4. Industrial Gross: A type of Modified Gross lease where the tenant pays one or more of the expenses in addition to the rent. The landlord and tenant determine these prior to signing the lease agreement.
5. Tenant Electric: The landlord pays for all services and the tenant is responsible for their usage of lights and electrical outlets in the space they occupy.
6. Negotiable or Upon Request: Used when the leasing contact does not provide the rent or service type.
7. TBD: To be determined; used for buildings for which no rent or service type is known, commonly utilized when the buildings are not yet built.
Select Tenants at Covina Palms
- Tenant
- Description
- US Locations
- Reach
- Children's Dental Fun Zone
- MD/DDS
- 3
- Local
- Futuro Infantil Hispano Ffa
- Other Services
- 2
- Local
- Intercoast College West Covina Campus
- Other Services
- 5
- Local
- Mikkon Adhc
- Health Care
- 1
- Local
- Sola Salon Studios
- Salon/Barber/Spa
- 877
- National
| Tenant | Description | US Locations | Reach |
| Children's Dental Fun Zone | MD/DDS | 3 | Local |
| Futuro Infantil Hispano Ffa | Other Services | 2 | Local |
| Intercoast College West Covina Campus | Other Services | 5 | Local |
| Mikkon Adhc | Health Care | 1 | Local |
| Sola Salon Studios | Salon/Barber/Spa | 877 | National |
Property Facts
| Total Space Available | 3,353 SF | Frontage | |
| Center Type | Neighborhood Center | Gross Leasable Area | 71,925 SF |
| Parking | 261 Spaces | Total Land Area | 4.12 AC |
| Stores | 9 | Year Built | 1989 |
| Center Properties | 1 |
| Total Space Available | 3,353 SF |
| Center Type | Neighborhood Center |
| Parking | 261 Spaces |
| Stores | 9 |
| Center Properties | 1 |
| Frontage | |
| Gross Leasable Area | 71,925 SF |
| Total Land Area | 4.12 AC |
| Year Built | 1989 |
About the Property
Covina Palms is a very active center with a mix of stable, long-term retail, medical, office and personal services tenants. Located between the Azusa Ave. and Citrus Ave. I-10 offramps, the center offers tenants increased image and identity with visible illuminated building signage, pylon signage and an easily recognizable freeway-adjacent location. Parking lot and landscaping were redone in 2022. Large visible building signage plus a panel on freeway pylon sign! High ceilings, rear roll-up loading door. Retail, office, medical and some specialty uses are allowed - please check with the City of West Covina for your particular use.
- Corner Lot
- Freeway Visibility
- Pylon Sign
- Signage
- Signalized Intersection
- Tenant Controlled HVAC
- Storage Space
- Air Conditioning
Nearby Major Retailers
Presented by
Covina Palms | 2211-2249 E Garvey Ave N
Hmm, there seems to have been an error sending your message. Please try again.
Thanks! Your message was sent.






