Log In/Sign Up
Your email has been sent.
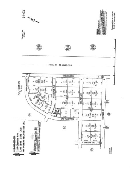
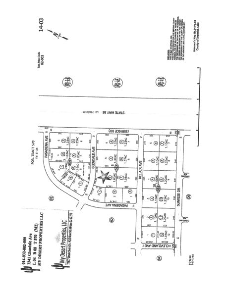
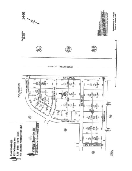
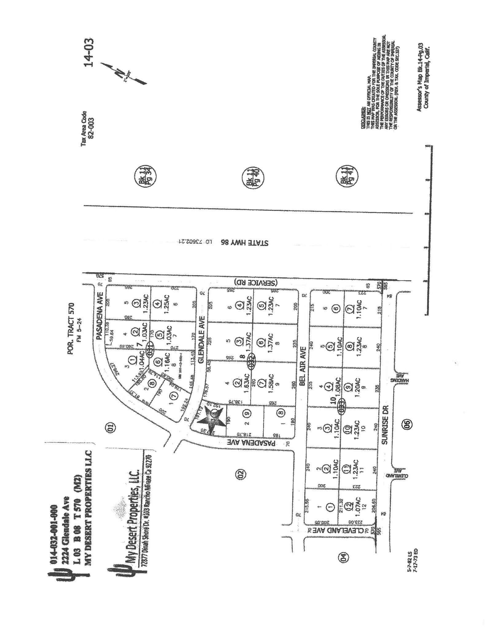
2224 Glendale Ave - 5 Cannabis Approved lots 6.27 Acres of Industrial Land Offered at $1,232,739 CAD in Thermal, CA 92274



Executive Summary
Owner Financing may be available. All lots zoned M-2.
Property Facts
| Price | $1,232,739 CAD | Property Subtype | Industrial |
| Sale Type | Investment | Proposed Use | Industrial |
| No. Lots | 1 | Total Lot Size | 6.27 AC |
| Property Type | Land | ||
| Zoning | M2 | ||
| Price | $1,232,739 CAD |
| Sale Type | Investment |
| No. Lots | 1 |
| Property Type | Land |
| Property Subtype | Industrial |
| Proposed Use | Industrial |
| Total Lot Size | 6.27 AC |
| Zoning | M2 |
1 Lot Available
Lot 5
| Price | $1,232,739 CAD | Lot Size | 6.27 AC |
| Price Per AC | $196,609.09 CAD |
| Price | $1,232,739 CAD |
| Price Per AC | $196,609.09 CAD |
| Lot Size | 6.27 AC |
5 Parcels totaling 6.27 Acres 2224 Glendale Ave. Thermal #014-032-001-000 1341 Glendale Ave Thermal #014-032-002-000 1337 Glendale Ave Thermal #014-032-003-000 1340 Belair Ave Salton City #014-032-007-000 2216 Pasadena Ave Salton City #014-032-009-00
Description
5 Parcels totaling 6.27 Acres. All lots zoned M-2. 2224 Glendale Ave. Thermal #014-032-001-000 1341 Glendale Ave Thermal #014-032-002-000 1337 Glendale Ave Thermal #014-032-003-000 1340 Belair Ave Salton City #014-032-007-000 2216 Pasadena Ave Salton City #014-032-009-00
1 1
Not walkable
10/100
Exceptionally drivable
90/100
Somewhat bikeable
20/100
Property Taxes
| Parcel Numbers | Improvements Assessment | $0 CAD | |
| Land Assessment | $313,221 CAD | Total Assessment | $313,221 CAD |
Property Taxes
Parcel Numbers
Land Assessment
$313,221 CAD
Improvements Assessment
$0 CAD
Total Assessment
$313,221 CAD
1 of 6
Videos
Matterport 3D Exterior
Matterport 3D Tour
Photos
Street View
Street
Map
1 of 1
Presented by
2224 Glendale Ave - 5 Cannabis Approved lots
Already a member? Log In
Hmm, there seems to have been an error sending your message. Please try again.
Thanks! Your message was sent.
