Log In/Sign Up
Your email has been sent.
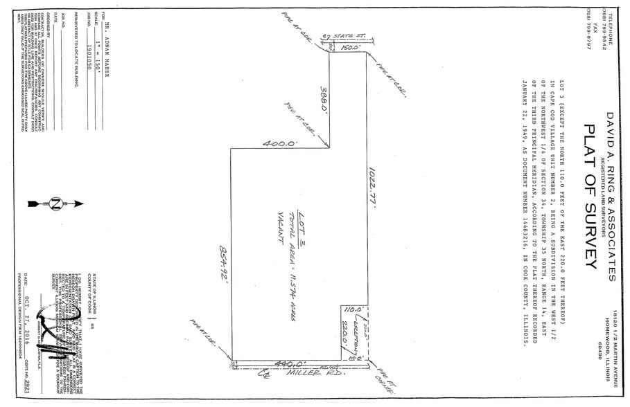
±11.57 AC Land Development Opp | SBA HUBZone 22505 State St 1 - 11.57 Acres of Residential Land for Lease in Steger, IL 60475



HIGHLIGHTS
- ±11.57 AC Land Site with 150' Frontage on State Street
- 30'x45' Hoop House on site | Flexible Zoning
- Land also available for sale
- 30'x40' Pole Barn on site with 14' ceilings & 14'x14' DID
- A few miles to I-394
LOT AVAILABLE
Display Rental Rate as
| Rental Rate |
|
Lot Size | 1.00 - 11.57 AC |
| Lease Term | Negotiable |
| Rental Rate | |
| Lease Term | Negotiable |
| Lot Size | 1.00 - 11.57 AC |
1.00 - 11.57 Acres of raw land available for lease. Located at 22560 Miller Road and 22505 State Street in Steger, IL.
PROPERTY OVERVIEW
SVN Chicago Commercial is pleased to exclusively represent this expansive ±11.57-acre land site with 150' of frontage on State Street in Steger, Illinois. The land is available for lease. Features a 30'x40' pole barn with 14' ceilings and a 14'x14' drive-in door, providing ample space for parking and storage operations. Additionally, a 30'x45' hoop house is included on the site. Special use permit zoning required.
PROPERTY FACTS
1 of 6
VIDEOS
MATTERPORT 3D EXTERIOR
MATTERPORT 3D TOUR
PHOTOS
STREET VIEW
STREET
MAP
Presented by
±11.57 AC Land Development Opp | SBA HUBZone | 22505 State St
Already a member? Log In
Hmm, there seems to have been an error sending your message. Please try again.
Thanks! Your message was sent.

