Log In/Sign Up
Your email has been sent.
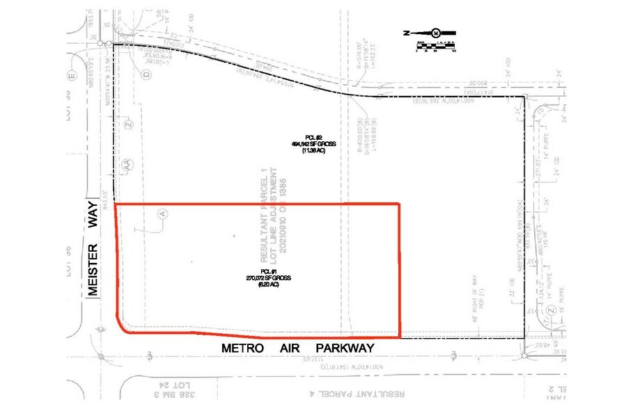
2264 Meister Way - Metro Gateway 17.5 Acres of Commercial Land in Sacramento, CA 95835



Executive Summary
17.5 Acres of Commercial Land for Sale!
Adjacent to Sacramento International Airport
Ideal For:
-Retail and Commercial Centers
-Hospitality and Accommodation Ventures
-Technological and Innovation Hubs
Adjacent to Sacramento International Airport
Ideal For:
-Retail and Commercial Centers
-Hospitality and Accommodation Ventures
-Technological and Innovation Hubs
Property Facts
| Sale Type | Investment | Property Subtype | Commercial |
| No. Lots | 1 | Proposed Use | |
| Property Type | Land | Total Lot Size | 17.57 AC |
| Zoning | SPA - Special Planning Area | ||
| Sale Type | Investment |
| No. Lots | 1 |
| Property Type | Land |
| Property Subtype | Commercial |
| Proposed Use | |
| Total Lot Size | 17.57 AC |
| Zoning | SPA - Special Planning Area |
1 Lot Available
Lot
| Lot Size | 17.50 AC |
| Lot Size | 17.50 AC |
1 1
Not walkable
10/100
Exceptionally drivable
100/100
Somewhat bikeable
20/100
Property Taxes
| Parcel Number | 201-1020-146 | Improvements Assessment | $0 CAD |
| Land Assessment | $9,430,446 CAD | Total Assessment | $9,430,446 CAD |
Property Taxes
Parcel Number
201-1020-146
Land Assessment
$9,430,446 CAD
Improvements Assessment
$0 CAD
Total Assessment
$9,430,446 CAD
1 of 9
Videos
Matterport 3D Exterior
Matterport 3D Tour
Photos
Street View
Street
Map
1 of 1
Presented by
2264 Meister Way - Metro Gateway
Already a member? Log In
Hmm, there seems to have been an error sending your message. Please try again.
Thanks! Your message was sent.
