Log In/Sign Up
Your email has been sent.
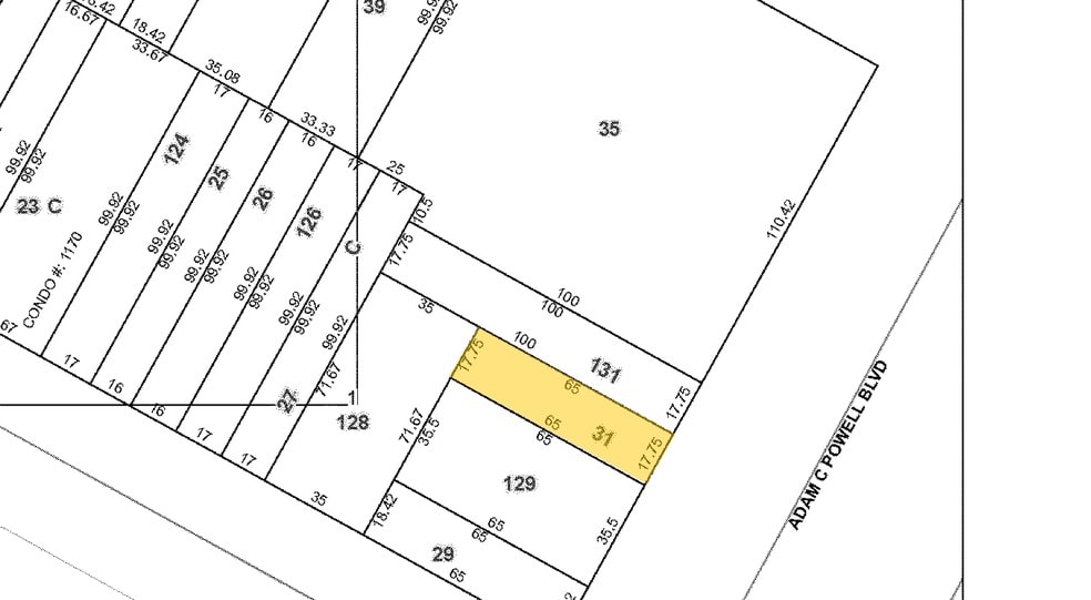
2286 Adam Clayton Powell Jr Blvd 4 Unit Apartment Building $1,922,282 CAD ($480,571 CAD/Unit) New York, NY 10030


Investment Highlights
- All residential units delivered vacant
- Core + Value add
- Retail lease till 2028
Executive Summary
Located on Adam Clayton Powell Jr. Boulevard between West 134th and West 135th Streets, this three-story mixed-use building offers a straightforward value-add opportunity in a prime Harlem corridor.
The property includes three residential apartments (two studios and one one-bedroom), all of which will be delivered vacant at closing, allowing a new owner to immediately lease at market rates or renovate and reposition. The ground floor features one retail unit with a tenant in place through 2028, providing stable income.
Zoned R7-2 / C1-4, the building benefits from unused residential FAR, creating potential upside for future expansion or reconfiguration (subject to approvals). With low property taxes and strong transit access, this asset works well for investors, owner-operators, or long-term holders seeking steady income with upside.
BUILDING INFORMATION
Building Size: 2,400SF
Building Dimensions: 18 x 55
Zoning: R7-2/ C1-4
Residential FAR: 3.44
Residential Units: 3 (all-delivered vacant upon closing)
Commercial Units: 1
Lot Size: 17.75 x 65 SF | 1,154 SF
Unused FAR: 1,569 SF
Property Taxes 2025: $6,957,76
The property includes three residential apartments (two studios and one one-bedroom), all of which will be delivered vacant at closing, allowing a new owner to immediately lease at market rates or renovate and reposition. The ground floor features one retail unit with a tenant in place through 2028, providing stable income.
Zoned R7-2 / C1-4, the building benefits from unused residential FAR, creating potential upside for future expansion or reconfiguration (subject to approvals). With low property taxes and strong transit access, this asset works well for investors, owner-operators, or long-term holders seeking steady income with upside.
BUILDING INFORMATION
Building Size: 2,400SF
Building Dimensions: 18 x 55
Zoning: R7-2/ C1-4
Residential FAR: 3.44
Residential Units: 3 (all-delivered vacant upon closing)
Commercial Units: 1
Lot Size: 17.75 x 65 SF | 1,154 SF
Unused FAR: 1,569 SF
Property Taxes 2025: $6,957,76
Property Facts
1 1
Exceptionally walkable
100/100
Fairly drivable
40/100
Exceptional public transit
100/100
Moderately bikeable
70/100
Property Taxes
| Parcel Number | 1940-0031 | Improvements Assessment | $52,775 CAD |
| Land Assessment | $23,417 CAD | Total Assessment | $76,192 CAD |
Property Taxes
Parcel Number
1940-0031
Land Assessment
$23,417 CAD
Improvements Assessment
$52,775 CAD
Total Assessment
$76,192 CAD
1 of 3
Videos
Matterport 3D Exterior
Matterport 3D Tour
Photos
Street View
Street
Map
1 of 1
Presented by
2286 Adam Clayton Powell Jr Blvd
Already a member? Log In
Hmm, there seems to have been an error sending your message. Please try again.
Thanks! Your message was sent.
