Log In/Sign Up
Your email has been sent.
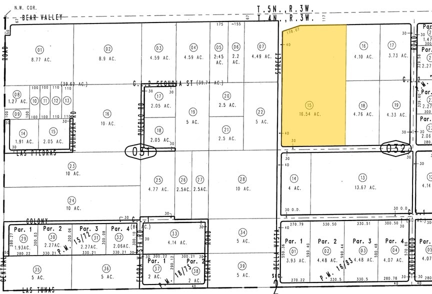
22915 Bear Valley Rd 16.54 Acres of Commercial Land Offered at $1,003,763 CAD in Apple Valley, CA 92308


INVESTMENT HIGHLIGHTS
- Available water, sewer, and power
- Major surrounding projects necessitating additional residential and commercial development
- Daily Traffic counts of approximately 13K
- Split zoning allows for high density residential along with commercial fronting a major local road
EXECUTIVE SUMMARY
±16.54 acres of unimproved land for sale fronting Bear Valley Rd in Apple Valley; APN: 3080-032-15. This parcel has mixed zoning for enhanced development opportunity with approximately 9 acres of multifamily (R-M) zoned land on the southern end fronting Las Piedras, permitting a density of 20 dwelling units per acre, and 7.5 acres on commercial land with more than 600 feet of frontage on Bear Valley Rd. Power, sewer, an water are all in the area and available to the site. Bear Valley Rd is a major access point to Apple Valley and has undergone significant development over the years. Daily Traffic counts at this location are approximately 13,000. Owners are highly motivated and will consider all offers. Seller financing is available subject to full terms of the offer. Apple Valley continues to grow with active industrial, residential, and commercial projects. Most notably the Brightline West Apple Valley Station, a project recently receiving a $3 billion federal-state partnership grant and the appointment of Siemens Mobility as the manufacture of the trains. Construction is expected to begin soon with the train in operation by late 2028. Buyer to verify all information contained herein. Agent and their representatives are not responsible for the accuracy of these claims. Split zoning allows for high density residential along with commercial fronting a major local road Available water, sewer, and power Daily Traffic counts of approximately 13K Major surrounding projects necessitating additional residential and commercial development.
PROPERTY FACTS
| Price | $1,003,763 CAD | Property Subtype | Commercial |
| Sale Type | Investment | Proposed Use | |
| No. Lots | 1 | Total Lot Size | 16.54 AC |
| Property Type | Land | ||
| Zoning | GC - General Commercial | ||
| Price | $1,003,763 CAD |
| Sale Type | Investment |
| No. Lots | 1 |
| Property Type | Land |
| Property Subtype | Commercial |
| Proposed Use | |
| Total Lot Size | 16.54 AC |
| Zoning | GC - General Commercial |
1 LOT AVAILABLE
Lot
| Price | $1,003,763 CAD | Lot Size | 16.54 AC |
| Price Per AC | $60,701.65 CAD |
| Price | $1,003,763 CAD |
| Price Per AC | $60,701.65 CAD |
| Lot Size | 16.54 AC |
16.54 Acres Zoned Commercial (C) and Multi-Family (R-M)
DESCRIPTION
16.54 Acres Zoned Commercial (C) and Multi-Family (R-M)
PROPERTY TAXES
| Parcel Number | 3080-032-15 | Improvements Assessment | $0 CAD |
| Land Assessment | $45,210 CAD | Total Assessment | $45,210 CAD |
PROPERTY TAXES
Parcel Number
3080-032-15
Land Assessment
$45,210 CAD
Improvements Assessment
$0 CAD
Total Assessment
$45,210 CAD
1 of 3
VIDEOS
MATTERPORT 3D EXTERIOR
MATTERPORT 3D TOUR
PHOTOS
STREET VIEW
STREET
MAP
Presented by
22915 Bear Valley Rd
Already a member? Log In
Hmm, there seems to have been an error sending your message. Please try again.
Thanks! Your message was sent.

