Your email has been sent.
2316 E 8th St 0.16 - 0.38 Acre Residential Land Lots Offered at $497,127 - $994,254 CAD Per Lot in Charlotte, NC 28204


Investment Highlights
- Water and sewer throughout land.
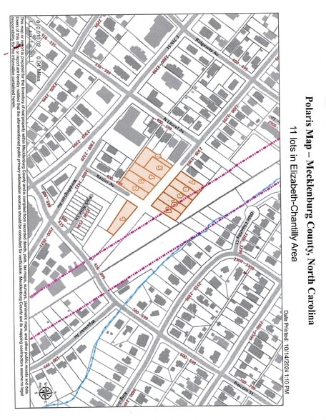
- Rare opportunity to purchase multiple lots in Elizabeth-Chantilly area.
- Located directly off of E 8th St.
- Ideally located in the Elizabeth/Chantilly Area.
- Lots are vacant (no teardowns) and are contiguous for efficient development.
Executive Summary
Zoned for single family, duplex, triplex, etc. Ready for development!
Property Facts
10 Lots Available
Lot 1
| Price | $497,127 CAD | Lot Size | 0.16 AC |
| Price Per AC | $3,107,042.35 CAD |
| Price | $497,127 CAD |
| Price Per AC | $3,107,042.35 CAD |
| Lot Size | 0.16 AC |
Level, raw, platted land located in Chantilly/Elizabeth area ready for development!
Lot 2
| Price | $497,127 CAD | Lot Size | 0.18 AC |
| Price Per AC | $2,761,815.42 CAD |
| Price | $497,127 CAD |
| Price Per AC | $2,761,815.42 CAD |
| Lot Size | 0.18 AC |
Level, raw, platted land located in Chantilly/Elizabeth area ready for development!
Lot 3
| Price | $497,127 CAD | Lot Size | 0.16 AC |
| Price Per AC | $3,107,042.35 CAD |
| Price | $497,127 CAD |
| Price Per AC | $3,107,042.35 CAD |
| Lot Size | 0.16 AC |
Level, raw, platted land located in Chantilly/Elizabeth area ready for development!
Lot 4
| Price | $497,127 CAD | Lot Size | 0.17 AC |
| Price Per AC | $2,924,275.15 CAD |
| Price | $497,127 CAD |
| Price Per AC | $2,924,275.15 CAD |
| Lot Size | 0.17 AC |
Level, raw, platted land located in Chantilly/Elizabeth area ready for development!
Lot 5/6
| Price | $994,254 CAD | Lot Size | 0.38 AC |
| Price Per AC | $2,616,456.71 CAD |
| Price | $994,254 CAD |
| Price Per AC | $2,616,456.71 CAD |
| Lot Size | 0.38 AC |
Level, raw, platted land located in Chantilly/Elizabeth area ready for development!
Lot 7
| Price | $497,127 CAD | Lot Size | 0.19 AC |
| Price Per AC | $2,616,456.71 CAD |
| Price | $497,127 CAD |
| Price Per AC | $2,616,456.71 CAD |
| Lot Size | 0.19 AC |
Level, raw, platted land located in Chantilly/Elizabeth area ready for development!
Lot 8
| Price | $497,127 CAD | Lot Size | 0.17 AC |
| Price Per AC | $2,924,275.15 CAD |
| Price | $497,127 CAD |
| Price Per AC | $2,924,275.15 CAD |
| Lot Size | 0.17 AC |
Level, raw, platted land located in Chantilly/Elizabeth area ready for development!
Lot 9
| Price | $497,127 CAD | Lot Size | 0.17 AC |
| Price Per AC | $2,924,275.15 CAD |
| Price | $497,127 CAD |
| Price Per AC | $2,924,275.15 CAD |
| Lot Size | 0.17 AC |
Level, raw, platted land located in Chantilly/Elizabeth area ready for development!
Lot 10
| Price | $497,127 CAD | Lot Size | 0.24 AC |
| Price Per AC | $2,071,361.57 CAD |
| Price | $497,127 CAD |
| Price Per AC | $2,071,361.57 CAD |
| Lot Size | 0.24 AC |
Level, raw, platted land located in Chantilly/Elizabeth area ready for development!
Lot 11
| Price | $497,132 CAD | Lot Size | 0.20 AC |
| Price Per AC | $2,485,661.22 CAD |
| Price | $497,132 CAD |
| Price Per AC | $2,485,661.22 CAD |
| Lot Size | 0.20 AC |
Level, raw, platted land located in Chantilly/Elizabeth area ready for development!
Description
Located at the intersection southeast of N. Laurel Ave. on East 8th Street. Frontage on East 8th street with zoning for complexes including single family detached, townhome, duplex, triplex, quadraplex, etc.
Property Taxes
| Parcel Numbers | Improvements Assessment | $0 CAD | |
| Land Assessment | $4,560,039 CAD | Total Assessment | $4,560,039 CAD |
Property Taxes
Presented by
2316 E 8th St
Hmm, there seems to have been an error sending your message. Please try again.
Thanks! Your message was sent.
