Log In/Sign Up
Your email has been sent.
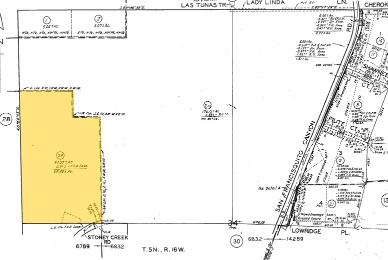
23721 Stoney Creek Rd - Church Site Valencia, CA 34.95 Acres of Commercial Land Offered at $2,750,965 CAD in Santa Clarita, CA 91390


INVESTMENT HIGHLIGHTS
- Possible Church or School Use
- Adjacent to Tesoro Del Valle Recreation Center & Clubhouse
EXECUTIVE SUMMARY
Current Zoning: RL5 Unincorporated LA County (Buyer to verify zoning /approval of intended use) APN#: 3244-029-024 Size: 35+/-total Acres
Price: $1,995,000
Conditional use permit (“CUP”) for a 50,000 square foot building.
Church use only with a CUP.
Selling Price includes due diligence expense for approved grading permit. Grading plan available on request as well as church conceptuals.
Price: $1,995,000
Conditional use permit (“CUP”) for a 50,000 square foot building.
Church use only with a CUP.
Selling Price includes due diligence expense for approved grading permit. Grading plan available on request as well as church conceptuals.
PROPERTY FACTS
| Price | $2,750,965 CAD | Property Subtype | Commercial |
| Sale Type | Investment | Proposed Use | Commercial |
| No. Lots | 1 | Total Lot Size | 34.95 AC |
| Property Type | Land | ||
| Zoning | RL5 Unincorporated | ||
| Price | $2,750,965 CAD |
| Sale Type | Investment |
| No. Lots | 1 |
| Property Type | Land |
| Property Subtype | Commercial |
| Proposed Use | Commercial |
| Total Lot Size | 34.95 AC |
| Zoning | RL5 Unincorporated |
1 LOT AVAILABLE
Lot
| Price | $2,750,965 CAD | Lot Size | 34.95 AC |
| Price Per AC | $78,707.47 CAD |
| Price | $2,750,965 CAD |
| Price Per AC | $78,707.47 CAD |
| Lot Size | 34.95 AC |
1 1
PROPERTY TAXES
| Parcel Number | 3244-029-024 | Improvements Assessment | $0 CAD |
| Land Assessment | $1,473,883 CAD | Total Assessment | $1,473,883 CAD |
PROPERTY TAXES
Parcel Number
3244-029-024
Land Assessment
$1,473,883 CAD
Improvements Assessment
$0 CAD
Total Assessment
$1,473,883 CAD
1 of 3
VIDEOS
MATTERPORT 3D EXTERIOR
MATTERPORT 3D TOUR
PHOTOS
STREET VIEW
STREET
MAP
1 of 1
Presented by
23721 Stoney Creek Rd - Church Site Valencia, CA
Already a member? Log In
Hmm, there seems to have been an error sending your message. Please try again.
Thanks! Your message was sent.
