Log In/Sign Up
Your email has been sent.
Investment Highlights
- Directly across from Walmart on I-44
- Lots of frontage
- Right of I-44
- Will subdivide
Executive Summary
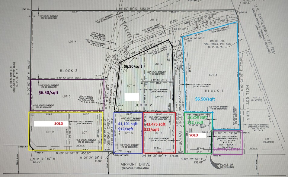
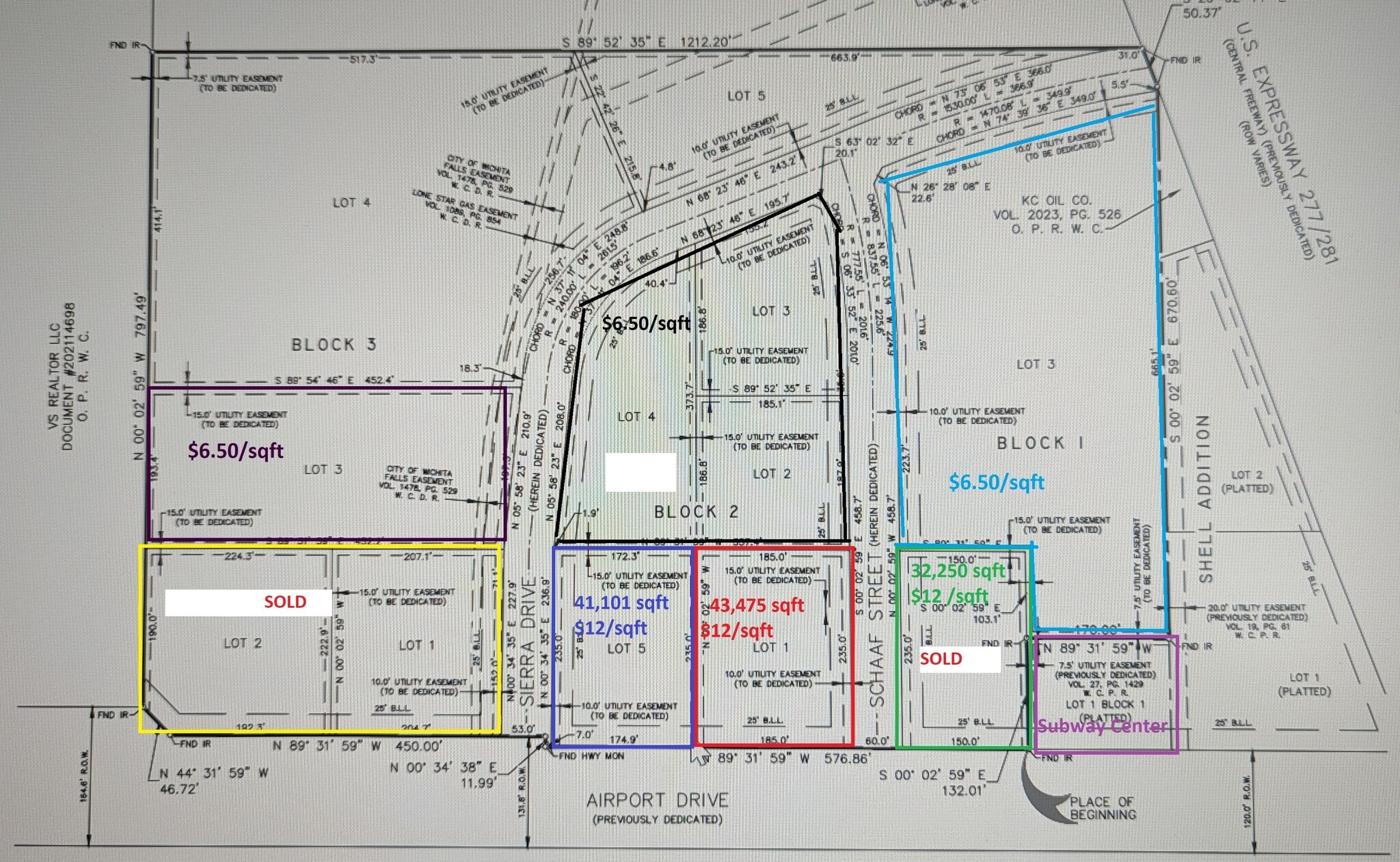
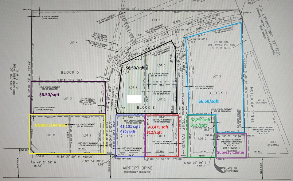
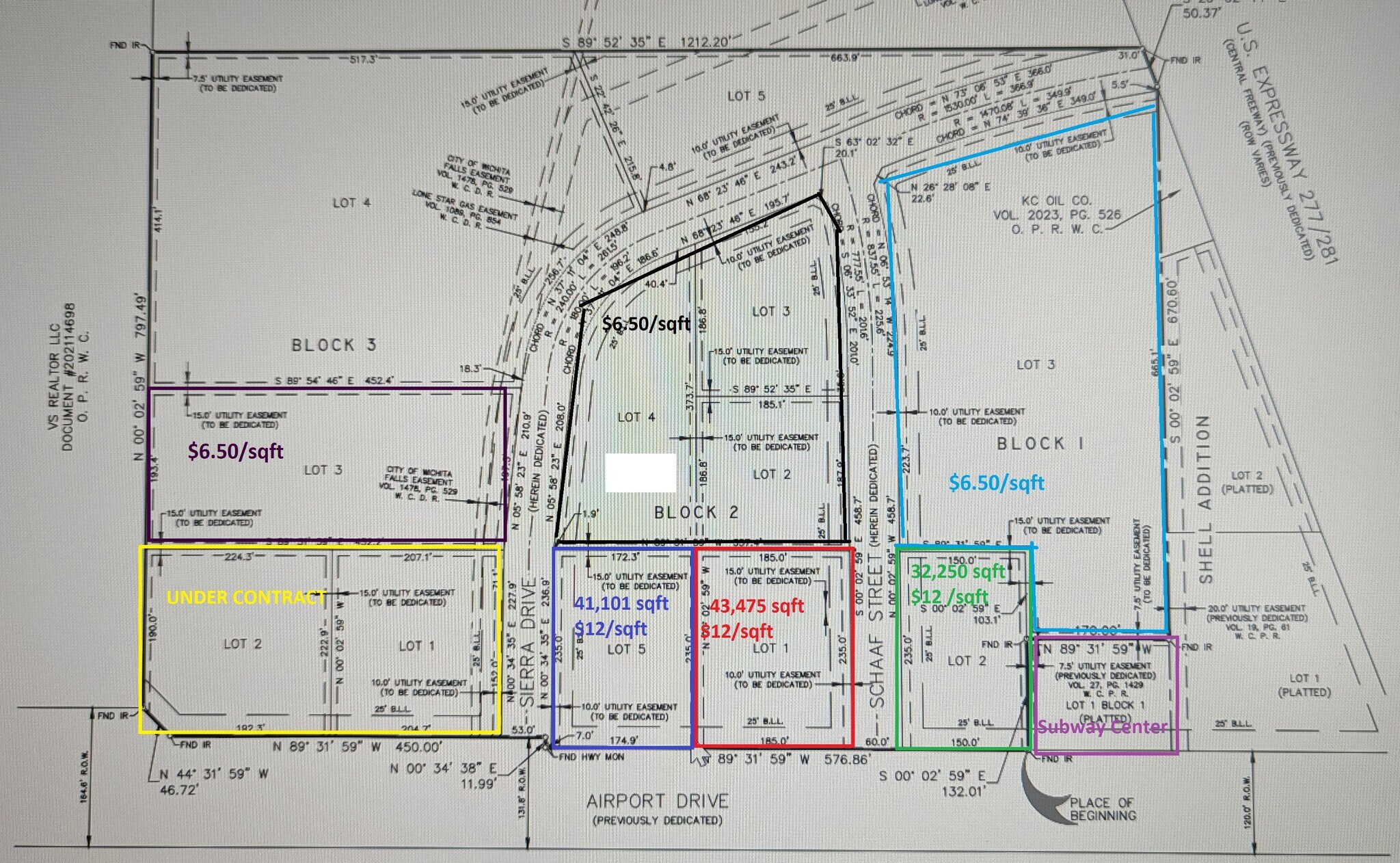
Last development site next to Wamart. 1,000' frontage directly across from Walmart. Will sub divide. Lots priced from $12/sqft (frontage Airport Dr), $6.50/sqft (just behind frontage), and $3.75 /sqft ( north lots/land)
Property Facts
| Sale Type | Investment or Owner User | Property Subtype | Commercial |
| No. Lots | 1 | Proposed Use | |
| Property Type | Land | Total Lot Size | 24.30 AC |
| Zoning | General Commercial - General Commercial | ||
| Sale Type | Investment or Owner User |
| No. Lots | 1 |
| Property Type | Land |
| Property Subtype | Commercial |
| Proposed Use | |
| Total Lot Size | 24.30 AC |
| Zoning | General Commercial - General Commercial |
1 Lot Available
Lot
| Lot Size | 24.30 AC |
| Lot Size | 24.30 AC |
Approx. 1,000 ' X 1,000 with 1,000' of frontage on Airport Rd across from Super Walmart
Description
Last development site next to Wamart. 1,000' frontage directly across from Walmart. Will sub divide. Lots priced from $12/sqft (frontage Airport Dr), $6.50/sqft (just behind frontage), and $3.75 /sqft ( north lots/land). Lot 2 Block 1 ( AutoZone Parts) and Lot 1 and 2 Block 3 (Caliber Collision), have been sold.
1 1
Somewhat walkable
30/100
Exceptionally drivable
100/100
Not bikeable
10/100
1 of 2
Videos
Matterport 3D Exterior
Matterport 3D Tour
Photos
Street View
Street
Map
1 of 1
Presented by
2400 Airport Dr - Airport Drive
Already a member? Log In
Hmm, there seems to have been an error sending your message. Please try again.
Thanks! Your message was sent.

