Log In/Sign Up
Your email has been sent.
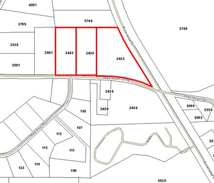
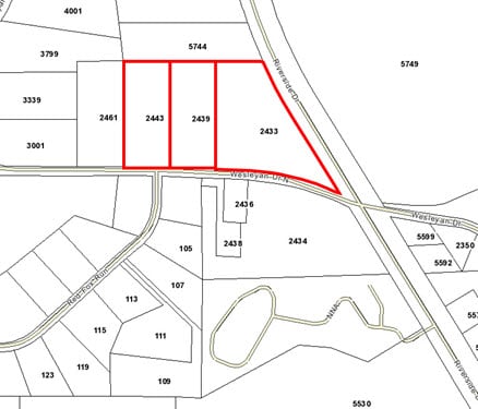
2433 Wesleyan Dr N - Birchwood Subdivision Lots 19.67 Acres of Residential Land in Macon-Bibb, GA 31210


EXECUTIVE SUMMARY
Lots may be sold separately.
Located at the intersection of N Wesleyan Drive and Riverside Drive convenient to Interstate 75 (Exits 171 & 172), Bass Road and The Shoppes at River Crossing.
Located at the intersection of N Wesleyan Drive and Riverside Drive convenient to Interstate 75 (Exits 171 & 172), Bass Road and The Shoppes at River Crossing.
PROPERTY FACTS
| Sale Type | Investment | Property Subtype | Residential |
| No. Lots | 1 | Proposed Use | |
| Property Type | Land | Total Lot Size | 19.67 AC |
| Zoning | SFR - Single-family residence | ||
| Sale Type | Investment |
| No. Lots | 1 |
| Property Type | Land |
| Property Subtype | Residential |
| Proposed Use | |
| Total Lot Size | 19.67 AC |
| Zoning | SFR - Single-family residence |
1 LOT AVAILABLE
Lot
| Lot Size | 19.67 AC |
| Lot Size | 19.67 AC |
2433 N Wesleyan Drive – 9.67 acres; $160,000 2439 N Wesleyan Drive – 5 acres; $95,000 2443 N Wesleyan Drive – 5 acres; $95,000
DESCRIPTION
Protective Covenants in place. City water available.
1 1
1 of 3
VIDEOS
MATTERPORT 3D EXTERIOR
MATTERPORT 3D TOUR
PHOTOS
STREET VIEW
STREET
MAP
1 of 1
Presented by
2433 Wesleyan Dr N - Birchwood Subdivision Lots
Already a member? Log In
Hmm, there seems to have been an error sending your message. Please try again.
Thanks! Your message was sent.
