Your email has been sent.
2450 Buckley Road Great Lakes/North Chicago 2450 Buckley Rd 0.26 - 1.57 Acres of Commercial Land for Lease in North Chicago, IL 60064


Highlights
- All utilities on site, flat topography, curb cuts and paving in place
- Per IDOT 13,500 vehicles per day on Green Bay Road and 21,700 on Buckley Road
- Located 1.7 miles from Abbot Laboratories and 1 mile from the Great Lakes Naval Station
- Exposure to the intersection of Green Bay Road (Route 131) and Buckley Road (Route 137)
- Accessibility from both Green Bay Road and Buckley Road
- Huge military presence to the east, large industrial parks to the west and strong residential base to the north and south.
LOT Available
Display Rental Rate as
| Rental Rate |
|
Lot Size | 0.26 - 1.57 AC |
| Lease Term | 5 Years |
| Rental Rate | |
| Lease Term | 5 Years |
| Lot Size | 0.26 - 1.57 AC |
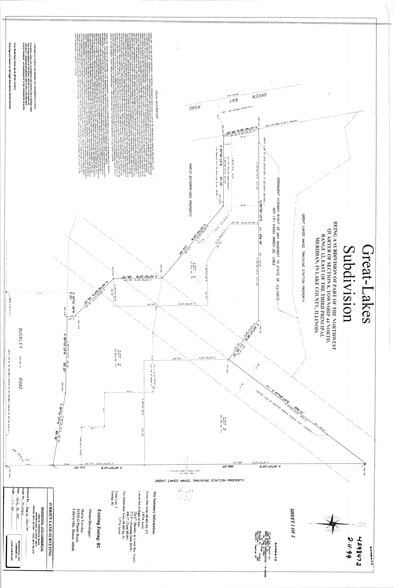
Lot 1 is 11,310 SF., Lot 2 is 33,414 SF. and lot 3 is 23,736 SF. Lots can be leased separately or together bring us your ideas
Property Overview
Property Discerption +/- 1.57 Acres divisible into 3 lots available for lease with all utilities on site. Accessible from Green Bay Road and Buckley Road, flat topography with some paving in place. Lot 1 is 11,310 SF., Lot 2 is 33,414 SF. and lot 3 is 23,736 SF. Location Discerption Located in North Chicago/Great Lakes, IL on the northeast corner of Green Bay Road and Buckley Road, between Abbot laboratories and the Great Lakes Naval Base, directly across the street from the Lovell Federal Veterans Hospital. North Chicago/Great Lakes is located in Lake County, IL and is a suburb of the city of Chicago, IL.
Property Facts
| Total Space Available | 1.57 AC | Property Subtype | Commercial |
| Min. Divisible | 0.26 AC | Proposed Use | Commercial |
| Property Type | Land | Year Built | 1999 |
| Total Space Available | 1.57 AC |
| Min. Divisible | 0.26 AC |
| Property Type | Land |
| Property Subtype | Commercial |
| Proposed Use | Commercial |
| Year Built | 1999 |
Presented by
2450 Buckley Road Great Lakes/North Chicago | 2450 Buckley Rd
Hmm, there seems to have been an error sending your message. Please try again.
Thanks! Your message was sent.

