Log In/Sign Up
Your email has been sent.
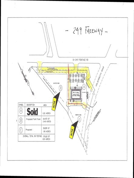
249 Bypass NWC
Tomball, TX 77375
Pad Site B- 249 Bypass & Holderrieth Rd · Land For Sale
·
1.48 AC


Investment Highlights
- DEAL RETAIL, BANK, RESTAURANT, ETC.
- https://terpstra-associates.com/
- DETENTION PROVIDED OFFSITE.
Executive Summary
CALL FOR PRICING
FOR SALE / GROUND LEASE / BUILD TO SUIT
2 PRIME PADS SITES AVAILABLE IN TOMBALL - NORTHWEST CORNER OF 249 BYPASS AND HOLDERRIETH EXTENSION.
FOR SALE / GROUND LEASE / BUILD TO SUIT
2 PRIME PADS SITES AVAILABLE IN TOMBALL - NORTHWEST CORNER OF 249 BYPASS AND HOLDERRIETH EXTENSION.
Property Facts
1 Lot Available
Lot Pad Site B
| Lot Size | 1.48 AC |
| Lot Size | 1.48 AC |
2 PRIME PAD SITES AVAILABLE IN TOMBALL. LOCATED AT THE NORTHWEST CORNER OF TOMBALL TOLLWAY(249) AND HOLDERRIETH EXTENSION
Description
SITE IS CLEARED AND DETENTION HAS BEEN CREATED OFF-SITE.
Property Taxes
| Parcel Number | 1338440010002 | Improvements Assessment | $1,933,304 CAD |
| Land Assessment | $1,521,814 CAD | Total Assessment | $3,455,119 CAD |
Property Taxes
Parcel Number
1338440010002
Land Assessment
$1,521,814 CAD
Improvements Assessment
$1,933,304 CAD
Total Assessment
$3,455,119 CAD
1 of 3
Videos
Matterport 3D Exterior
Matterport 3D Tour
Photos
Street View
Street
Map
