Log In/Sign Up
Your email has been sent.
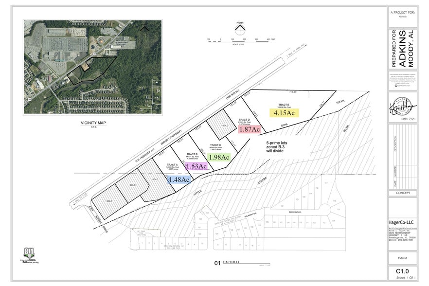
2490 Moody Pky - Frontage Lots 1 - 5ac each - Moody Parkway 1.48 - 25 Acre Commercial Land Lots in Moody, AL 35004



Investment Highlights
- Prime Commercial Land for Development
- Can be subdivided as needed for end user.
- Proposed Subdivision Plat of usable land.
- Heavy Traffic and Great Visibility
Executive Summary
+/-36 Acres of Land for retail or office development. Property is platted into 5 proposed parcels ranging from 1.48 to 4.15 acres of usable land. Remaining land is within the floodway of the Little Cahaba River. All parcels lay along the route of the City's River Walk Project that will connect City Hall with land near the Publix Shopping Center by the interstate.
Call to discuss need and pricing!
Call to discuss need and pricing!
Property Facts
6 Lots Available
Lot
| Lot Size | 25.00 AC |
| Lot Size | 25.00 AC |
ENTIRE TRACT: +/- 36 acres
Lot Tract A
| Lot Size | 1.48 AC |
| Lot Size | 1.48 AC |
Proposed Tract A Lots can be subdivided as needed for end user.
Lot Tract B
| Lot Size | 1.53 AC |
| Lot Size | 1.53 AC |
Proposed Tract B Lots can be subdivided as needed for end user.
Lot Tract C
| Lot Size | 1.98 AC |
| Lot Size | 1.98 AC |
Proposed Tract C Lots can be subdivided as needed for end users.
Lot Tract D
| Lot Size | 1.87 AC |
| Lot Size | 1.87 AC |
Proposed Tract D Lots can be subdivided as needed for end users
Lot Tract E
| Lot Size | 4.15 AC |
| Lot Size | 4.15 AC |
Proposed Tract E Lots can be subdivided as needed for end users.
Description
Parcels can be subdivided as needed or the entire property can be purchased including the River frontage and Floodway. Call to discuss in more detail.
1 1
Somewhat walkable
30/100
Exceptionally drivable
100/100
Somewhat bikeable
20/100
1 of 4
Videos
Matterport 3D Exterior
Matterport 3D Tour
Photos
Street View
Street
Map
1 of 1
Presented by
2490 Moody Pky - Frontage Lots 1 - 5ac each - Moody Parkway
Already a member? Log In
Hmm, there seems to have been an error sending your message. Please try again.
Thanks! Your message was sent.
