Your email has been sent.
2500 N Pleasantburg Dr 1.83 Acres of Commercial Land Offered at $1,309,575 CAD in Greenville, SC 29609



INVESTMENT HIGHLIGHTS
- Highly visible with over 1,000 feet of frontage on N Pleasantburg Dr
- Great traffic flow with over 33,300 VPD on Pleasantburg Dr
EXECUTIVE SUMMARY
This development property is located in the sought after Cherrydale retail trade area next to Home Depot. +-33,300 VPD on Pleasantburg Dr. zoned C-3. all utilities available.
PROPERTY FACTS
| Price | $1,309,575 CAD | Property Subtype | Commercial |
| Sale Type | Investment | Proposed Use | |
| No. Lots | 1 | Total Lot Size | 1.83 AC |
| Property Type | Land | ||
| Zoning | C-3 - Commercial | ||
| Price | $1,309,575 CAD |
| Sale Type | Investment |
| No. Lots | 1 |
| Property Type | Land |
| Property Subtype | Commercial |
| Proposed Use | |
| Total Lot Size | 1.83 AC |
| Zoning | C-3 - Commercial |
1 LOT AVAILABLE
Lot
| Price | $1,309,575 CAD | Lot Size | 1.83 AC |
| Price Per AC | $715,614.75 CAD |
| Price | $1,309,575 CAD |
| Price Per AC | $715,614.75 CAD |
| Lot Size | 1.83 AC |
Great high traffic location. the corner was sold to a dentist. this is the middle piece great for restaurant, automotive, medical, etc.
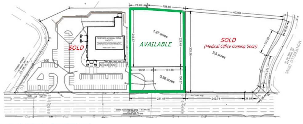
DESCRIPTION
• +-2.50 ACRES ON THE CORNER OF N. PLEASANTBURG & MONTEBELLO DRIVE SOLD (Medical Office Coming Soon) • +-1.83 ACRES DIRECTLY ADJACENT TO GOODWILL FOR SALE: $950,000.00 (includes +-1.27 acres behind the curb cut and +-0.56 acres next to the curb cut) • ONE OF THE FEW REMAINING DEVELOPMENT PARCELS AVAILABLE IN THE SOUGHT AFTER CHERRYDALE RETAIL TRADE AREA • LOCATED NEXT DOOR TO HOME DEPOT • ZONED C-3 IN GREENVILLE COUNTY • +-35,000 VPD DIRECTLY IN FRONT OF SITE • CROSS ACCESS AGREEMENT IN PLACE THROUGHOUT ENTIRE 7 ACRE SITE, INCLUDING THE GOODWILL PARKING LOT
PROPERTY TAXES
| Parcel Number | 0183.03-01-004.00 | Improvements Assessment | $0 CAD |
| Land Assessment | $53,830 CAD | Total Assessment | $53,830 CAD |
PROPERTY TAXES
Presented by
2500 N Pleasantburg Dr
Hmm, there seems to have been an error sending your message. Please try again.
Thanks! Your message was sent.
