Log In/Sign Up
Your email has been sent.
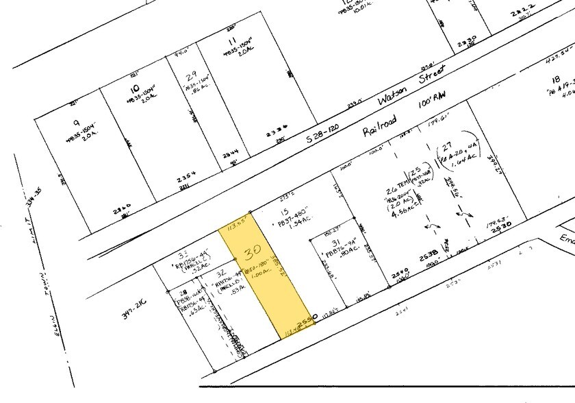
2550 Main St
Elgin, SC 29045
1.0 Acre - Commercial Lot · Land For Sale
·
1.00 AC


Property Facts
1 Lot Available
Lot
| Price | $478,468 CAD | Lot Size | 1.00 AC |
| Price Per AC | $478,467.52 CAD |
| Price | $478,468 CAD |
| Price Per AC | $478,467.52 CAD |
| Lot Size | 1.00 AC |
Great property on Main Street in Elgin. Great business opportunity. Zoned GC-2. 109' of Road frontage on US HWY #1
Property Taxes
| Parcel Number | E335-17-00-030 | Improvements Assessment | $0 CAD |
| Land Assessment | $205,674 CAD | Total Assessment | $205,674 CAD |
Property Taxes
Parcel Number
E335-17-00-030
Land Assessment
$205,674 CAD
Improvements Assessment
$0 CAD
Total Assessment
$205,674 CAD
1 of 21
Videos
Matterport 3D Exterior
Matterport 3D Tour
Photos
Street View
Street
Map
