Log In/Sign Up
Your email has been sent.
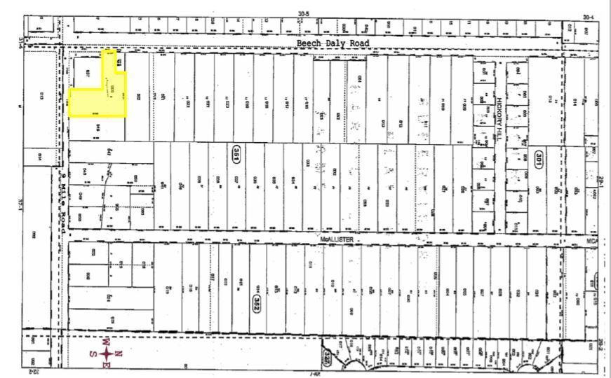
Vacant Land 25676 Nine Mile rd 1.43 Acres of Commercial Land for Lease in Southfield, MI 48033


Highlights
- Great development opportunity on the NEC of Beech Road and 9 Mile Road.
- 1.43 Acres of vacant land
LOT Available
Display Rental Rate as
| Rental Rate |
|
Lot Size | 1.43 AC |
| Lease Term | Negotiable |
| Rental Rate | |
| Lease Term | Negotiable |
| Lot Size | 1.43 AC |
Property Overview
1.43 Acres of vacant land. Great development opportunity on the NEC of Beech Road and 9 Mile Road.
Property Facts
| Total Space Available | 1.43 AC | Property Subtype | Commercial |
| Property Type | Land |
| Total Space Available | 1.43 AC |
| Property Type | Land |
| Property Subtype | Commercial |
1 1
1 of 3
Videos
Matterport 3D Exterior
Matterport 3D Tour
Photos
Street View
Street
Map
1 of 1
Presented by
Vacant Land | 25676 Nine Mile rd
Already a member? Log In
Hmm, there seems to have been an error sending your message. Please try again.
Thanks! Your message was sent.
Your message has been sent!
Activate your LoopNet account now to track properties, get real-time alerts, save time on future inquiries, and more.
