Your email has been sent.
2599 Easton - THREE ADJACENT PARCELS OF LAND 3.4 Acres of Commercial Land Offered at $3,838,780 CAD in Fairfield, CT 06825



INVESTMENT HIGHLIGHTS
- Half mile South of Exit 46 off the Merritt Parkway - Route 59
- Gas station and a repair garage business are currently in operation at one of the parcels
- Zoned R-3
EXECUTIVE SUMMARY
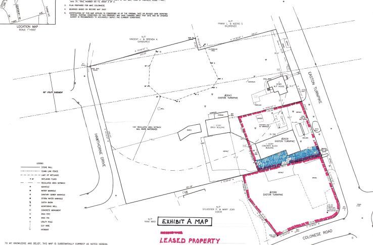
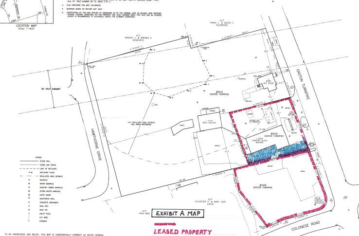
This vacant parcel of land is .51 acres and is located at the corner of Easton Turnpike and Colonese Road. It is zoned R-3. This property is currently leased to the service station located on the adjacent property to the north. Assessment: $221,550, Taxes: $5,977.
*2629 Easton Turnpike,
This is a .37 acre parcel of land where a gas station and a repair garage business are currently in operation. The business is housed in a 3,158sf building with five bays that was constructed in 1940. This property, along with the vacant half-acre of land at 2599 Easton Turnpike, is leased for $95,000 per year to a proprietor who has operated a business here for more than thirty years. The roof was replaced four years ago. The property is zoned R-3. Assessment: $630,420, Taxes: $17,008
Parcels 2599 and 2629 Easton Tpke can be purchased separately for $1,300,000.
*2643 Easton Turnpike,
This is a 2.5 acre parcel of land zoned R-3 that has two structures on it. One is a 1,810 sf two story, eight room, three bedroom house that was built in 1924. It is currently rented for $4,000 per month. The roof is about ten years old. Assessment: $528,640, Taxes: $14,627. The second building is a 2,162sf warehouse/garage that is currently vacant. The roof was replaced about four years ago. There is an 85+/- foot strip of land that runs along the northerly border of this property that has seventy foot high power lines running through it. An area of wetlands also exists, which is primarily located in the 85 foot strip of land. This parcel also has road frontage on Hawthorne St to the rear.
Parcel 2643 Easton Tpke can be purchased separately for $1,500,000
PROPERTY FACTS
| Price | $3,838,780 CAD | Property Type | Land |
| Sale Type | Investment or Owner User | Property Subtype | Commercial |
| Sale Conditions | Proposed Use | ||
| No. Lots | 1 | Total Lot Size | 3.40 AC |
| Zoning | R-3 - Residential | ||
| Price | $3,838,780 CAD |
| Sale Type | Investment or Owner User |
| Sale Conditions | |
| No. Lots | 1 |
| Property Type | Land |
| Property Subtype | Commercial |
| Proposed Use | |
| Total Lot Size | 3.40 AC |
| Zoning | R-3 - Residential |
1 LOT AVAILABLE
Lot
| Price | $3,838,780 CAD | Lot Size | 3.40 AC |
| Price Per AC | $1,129,052.97 CAD |
| Price | $3,838,780 CAD |
| Price Per AC | $1,129,052.97 CAD |
| Lot Size | 3.40 AC |
3 parcels of land available. 2599 Easton Tpke is a vacant parcel of land and is .51 acres, 2629 Easton Tpke is .37 acre parcel of land & 2643 Easton Tpke is a 2.5 acre parcel. All zoned R-3 2599 Easton and 2629 Easton can be purchased for 1.3 million
DESCRIPTION
2599 Easton Turnpike This vacant parcel of land is .51 acres and is located at the corner of Easton Turnpike and Colonese Road. It is zoned R-3. This property is currently leased to the service station located on the adjacent property to the north. Assessment: $221,550, Taxes: $5,977 2629 Easton Turnpike This is a .37 acre parcel of land where a gas station and a repair garage business are currently in operation. The business is housed in a 3,158sf building with five bays that was constructed in 1940. This property, along with the vacant half-acre of land at 2599 Easton Turnpike, is leased for $95,000 per year to a proprietor who has operated a business here for more than thirty years. The roof was replaced four years ago. The property is zoned R-3. Assessment: $630,420, Taxes: $17,008 2643 Easton Turnpike This is a 2.5 acre parcel of land zoned R-3 that has two structures on it. One is a 1,810 sf two story, eight room, three bedroom house that was built in 1924. It is currently rented for $2,400 per month. The roof is about ten years old. Assessment: $528,640, Taxes: $14,627. The second building is a 2,162sf warehouse/garage that is currently vacant. The roof was replaced about four years ago. There is an 85+/- foot strip of land that runs along the northerly border of this property that has seventy foot high power lines running through it. An area of wetlands also exists, which is primarily located in the 85 foot strip of land. This parcel also has road frontage on Hawthorne St to the rear.
Presented by
2599 Easton - THREE ADJACENT PARCELS OF LAND
Hmm, there seems to have been an error sending your message. Please try again.
Thanks! Your message was sent.
