Log In/Sign Up
Your email has been sent.
2609 Marion Ave - Block-Through Development Site 0.18 Acres of Commercial Land Offered at $5,256,882 CAD in Bronx, NY 10458



INVESTMENT HIGHLIGHTS
- Situated in the vibrant Fordham neighborhood of the Bronx, offering excellent walkability with a Walk Score of 94 and Transit Score of 100.
- Zoned R7B with C1-3 overlay, allowing for mixed-use development with 33,102 BSF buildable (including transferred air rights).
- Close to major transit hubs, schools, and retail corridors, ensuring strong connectivity and neighborhood amenities.
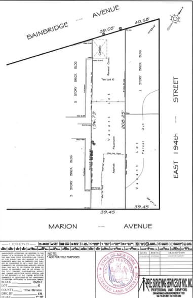
- The property spans 7,988 SF with dimensions of 39.45 ft x 208.25 ft, providing ample space for development.
- Ideal for residential or mixed-use projects in a high-demand area, supported by favorable zoning and air rights.
EXECUTIVE SUMMARY
The subject property is a vacant development site located in the Fordham section of the Bronx, spanning from Marion Ave to Bainbridge Ave.
This is an opportunity to acquire a block-through site with nearly 8,000 SF of land and over 33,000 buildable square feet, including 9,138 SF of acquired air rights from the adjacent property at 304 E 194th Street.
2609 Marion Avenue
• 7,988 SF Vacant Lot | 39.45 ft x 208.25 ft
• Zoning: R7B / C1-3
• Total Buildable: 33,102 BSF (includes acquired air rights)
• Block-Through Site with Dual Frontage on Marion Ave and Bainbridge Ave
• Annual Taxes: $9,134
• Steps from Fordham University, MetroNorth, Restaurants, and the B, D, 4 Trains
• Delivered Vacant
This is an opportunity to acquire a block-through site with nearly 8,000 SF of land and over 33,000 buildable square feet, including 9,138 SF of acquired air rights from the adjacent property at 304 E 194th Street.
2609 Marion Avenue
• 7,988 SF Vacant Lot | 39.45 ft x 208.25 ft
• Zoning: R7B / C1-3
• Total Buildable: 33,102 BSF (includes acquired air rights)
• Block-Through Site with Dual Frontage on Marion Ave and Bainbridge Ave
• Annual Taxes: $9,134
• Steps from Fordham University, MetroNorth, Restaurants, and the B, D, 4 Trains
• Delivered Vacant
PROPERTY FACTS
| Price | $5,256,882 CAD | Property Type | Land |
| Sale Type | Investment | Property Subtype | Commercial |
| No. Lots | 1 | Total Lot Size | 0.18 AC |
| Zoning | R7B/C1-3 - Commercial | ||
| Price | $5,256,882 CAD |
| Sale Type | Investment |
| No. Lots | 1 |
| Property Type | Land |
| Property Subtype | Commercial |
| Total Lot Size | 0.18 AC |
| Zoning | R7B/C1-3 - Commercial |
1 LOT AVAILABLE
Lot
| Price | $5,256,882 CAD | Lot Size | 0.18 AC |
| Price Per AC | $28,726,130.11 CAD |
| Price | $5,256,882 CAD |
| Price Per AC | $28,726,130.11 CAD |
| Lot Size | 0.18 AC |
Walk Score®
Walker's Paradise (94)
Transit Score®
Rider's Paradise (100)
PROPERTY TAXES
| Parcel Number | 03287-0006 | Improvements Assessment | $0 CAD |
| Land Assessment | $118,472 CAD | Total Assessment | $118,472 CAD |
PROPERTY TAXES
Parcel Number
03287-0006
Land Assessment
$118,472 CAD
Improvements Assessment
$0 CAD
Total Assessment
$118,472 CAD
1 of 4
VIDEOS
MATTERPORT 3D EXTERIOR
MATTERPORT 3D TOUR
PHOTOS
STREET VIEW
STREET
MAP
Presented by
2609 Marion Ave - Block-Through Development Site
Already a member? Log In
Hmm, there seems to have been an error sending your message. Please try again.
Thanks! Your message was sent.

