Log In/Sign Up
Your email has been sent.
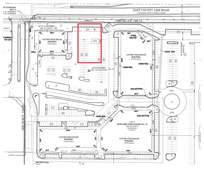
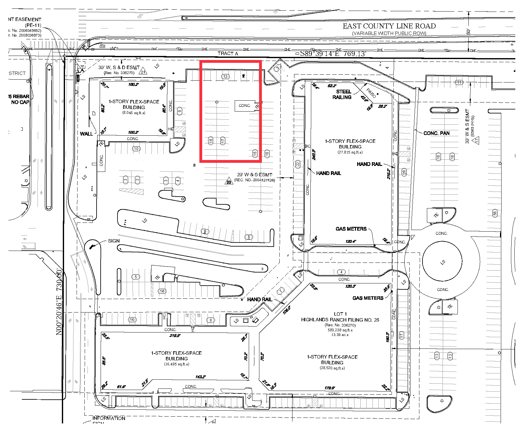
LOT Available
Display Rental Rate as
| Rental Rate |
|
Lot Size | 0.35 AC |
| Lease Term | Negotiable |
| Rental Rate | |
| Lease Term | Negotiable |
| Lot Size | 0.35 AC |
$85,000/ Year • Pad available for Ground Lease only • Prominent frontage along Count Line (20,000 VPD)
Property Facts
| Total Space Available | 0.35 AC | Property Subtype | Commercial |
| Property Type | Land |
| Total Space Available | 0.35 AC |
| Property Type | Land |
| Property Subtype | Commercial |
1 1
Fairly walkable
50/100
Exceptionally drivable
100/100
Limited public transit
30/100
Fairly bikeable
50/100
1 of 2
Videos
Matterport 3D Exterior
Matterport 3D Tour
Photos
Street View
Street
Map
1 of 1
Presented by
2660 E County Line Rd
Already a member? Log In
Hmm, there seems to have been an error sending your message. Please try again.
Thanks! Your message was sent.

