Log In/Sign Up
Your email has been sent.
2671 Mack Rd - Rare Mixed-Use Development Opportunity 2.89 - 35.85 Acre Commercial Land Lots Offered at $1,497,177 - $19,277,422 CAD Per Lot in Fairfield, OH 45014



Investment Highlights
- Approximately 6,426’ roadway frontage and visibility along South Gilmore Rd (1,590’), Mack Rd (2,656’) and Kolb Dr (2,180’).
- Strong demographics with 151,067 population (5-mile) and $113,539 Average HH income (1-mile).
- Well positioned for: healthcare, medical/office, hospital, SNF, AL, MC, IL, institutional, mixed-use, retail, hotels, flex/life science, residential
- Directly adjacent to 3 of Fairfield’s largest employers (5,200 combined employees): Cincinnati Financial HQ, Veritiv, Mercy Health Fairfield Hospital
- Immediate proximity to I-275, with convenient access to I-75, I-74, I-71 and the Ohio/Kentucky/Indiana tri-state area
- Adjacent investments include Chick-fil-A, Dunkin’, Freddy’s Steakburgers, Mercy Health medical offices, Hillwood’s 715,700 SF industrial facility
Executive Summary
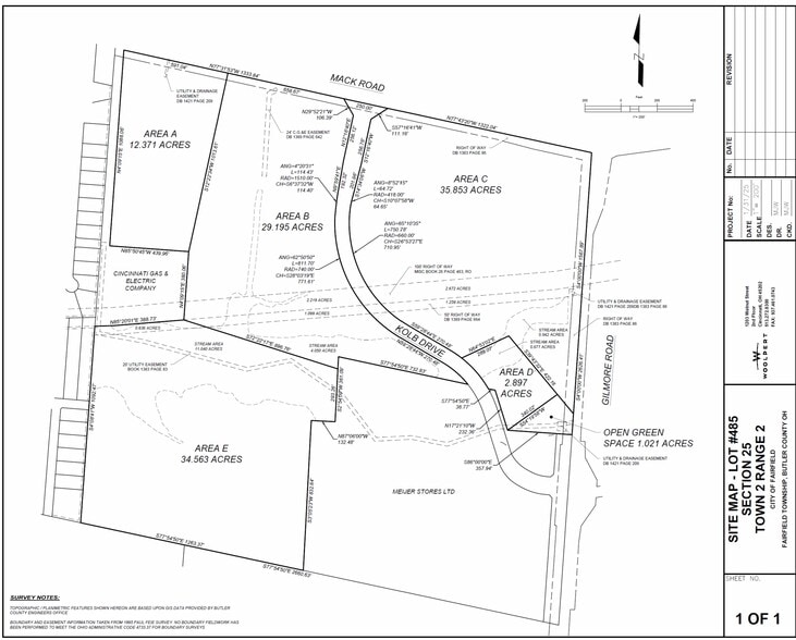
Rare Infill Development Opportunity totaling 114.879 acres at the signalized southwest corner of South Gilmore Road and Mack Road, a primary gateway into the City of Fairfield. The site is zoned Mixed-Use Planned Unit Development (PUD) and is divisible into five subareas ranging from ±2.9 acres to ±41 acres, allowing for phased or user-specific development.
The property offers exceptional regional accessibility, located immediately off I-275 with convenient connections to I-75, I-74, and I-71, providing direct access to the Ohio–Kentucky–Indiana tri-state area. The site is surrounded by major employers, healthcare facilities, regional retail, recent large-scale industrial investment, and established residential neighborhoods.
The location is well suited for a broad range of uses, including healthcare campuses, medical and office, hospital and medical support services, skilled nursing, assisted and independent living, institutional, mixed-use, retail and services, hospitality, light industrial/flex, select residential, and master-planned development.
The site features approximately 6,426 linear feet of roadway frontage and visibility along South Gilmore Road (±1,590’), Mack Road (±2,656’), and Kolb Drive (±2,180’). Kolb Drive, a public roadway, bisects the site and enhances internal circulation and development flexibility.
The property is directly adjacent to three of Fairfield’s largest employers, representing a combined 5,200 employees, including Cincinnati Financial (Fortune 500 headquarters), Veritiv Corporation (Fortune 500), and Mercy Health Fairfield Hospital. Recent nearby investments include Chick-fil-A, Dunkin’, Freddy’s Steakburgers, Mercy Health medical offices, Hillwood’s 715,700-square-foot industrial facility (Project Tetrus) on the former Forest Fair Mall site, and the recently approved Whispering Hills development north of Mack Road.
The site is supported by strong demographics, with a 5-mile population of 151,067 and an average household income of $113,539 within one mile.
The property offers exceptional regional accessibility, located immediately off I-275 with convenient connections to I-75, I-74, and I-71, providing direct access to the Ohio–Kentucky–Indiana tri-state area. The site is surrounded by major employers, healthcare facilities, regional retail, recent large-scale industrial investment, and established residential neighborhoods.
The location is well suited for a broad range of uses, including healthcare campuses, medical and office, hospital and medical support services, skilled nursing, assisted and independent living, institutional, mixed-use, retail and services, hospitality, light industrial/flex, select residential, and master-planned development.
The site features approximately 6,426 linear feet of roadway frontage and visibility along South Gilmore Road (±1,590’), Mack Road (±2,656’), and Kolb Drive (±2,180’). Kolb Drive, a public roadway, bisects the site and enhances internal circulation and development flexibility.
The property is directly adjacent to three of Fairfield’s largest employers, representing a combined 5,200 employees, including Cincinnati Financial (Fortune 500 headquarters), Veritiv Corporation (Fortune 500), and Mercy Health Fairfield Hospital. Recent nearby investments include Chick-fil-A, Dunkin’, Freddy’s Steakburgers, Mercy Health medical offices, Hillwood’s 715,700-square-foot industrial facility (Project Tetrus) on the former Forest Fair Mall site, and the recently approved Whispering Hills development north of Mack Road.
The site is supported by strong demographics, with a 5-mile population of 151,067 and an average household income of $113,539 within one mile.
Property Facts
| Price | $1,497,177 - $44,161,634 CAD | Property Subtype | Commercial |
| Sale Type | Investment | Proposed Use | |
| No. Lots | 5 | Total Lot Size | 114.86 AC |
| Property Type | Land | No. Stories | 2 |
| Zoning | PUD - Mixed-Use | ||
| Price | $1,497,177 - $44,161,634 CAD |
| Sale Type | Investment |
| No. Lots | 5 |
| Property Type | Land |
| Property Subtype | Commercial |
| Proposed Use | |
| Total Lot Size | 114.86 AC |
| No. Stories | 2 |
| Zoning | PUD - Mixed-Use |
5 Lots Available
Lot A
| Price | $4,262,242 CAD | Lot Size | 12.37 AC |
| Price Per AC | $344,562.85 CAD |
| Price | $4,262,242 CAD |
| Price Per AC | $344,562.85 CAD |
| Lot Size | 12.37 AC |
Area A - 12.371 acres - located in the northwest subarea of the overall site fronting on Mack Road
Lot B
| Price | $10,058,699 CAD | Lot Size | 29.19 AC |
| Price Per AC | $344,594.01 CAD |
| Price | $10,058,699 CAD |
| Price Per AC | $344,594.01 CAD |
| Lot Size | 29.19 AC |
Area B - 29.195 acres - located in the north central subarea of the overall site - and situated at the southwest corner of Mack Road/Kolb Drive
Lot C
| Price | $19,277,422 CAD | Lot Size | 35.85 AC |
| Price Per AC | $537,724.46 CAD |
| Price | $19,277,422 CAD |
| Price Per AC | $537,724.46 CAD |
| Lot Size | 35.85 AC |
Area C - 35.853 acres - located in the northeast area of the site - which is the southwest corner of S Gilmore Rd/Mack Road
Lot D
| Price | $1,497,177 CAD | Lot Size | 2.89 AC |
| Price Per AC | $518,054.26 CAD |
| Price | $1,497,177 CAD |
| Price Per AC | $518,054.26 CAD |
| Lot Size | 2.89 AC |
Area D - 2.897 acres - located in the eastern area of the overall site - located off of Kolb Dr
Lot E
| Price | $9,066,094 CAD | Lot Size | 34.56 AC |
| Price Per AC | $262,329.10 CAD |
| Price | $9,066,094 CAD |
| Price Per AC | $262,329.10 CAD |
| Lot Size | 34.56 AC |
Area E - 34.563 acres - located in the southwest corner of the overall site, behind Meijer and accessible from Meijer Dr.
1 1
Fairly walkable
50/100
Exceptionally drivable
100/100
Limited public transit
30/100
Fairly bikeable
40/100
Property Taxes
| Parcel Number | A0700-018-000-002 | Improvements Assessment | $0 CAD |
| Land Assessment | $69,455 CAD | Total Assessment | $69,455 CAD |
Property Taxes
Parcel Number
A0700-018-000-002
Land Assessment
$69,455 CAD
Improvements Assessment
$0 CAD
Total Assessment
$69,455 CAD
1 of 41
Videos
Matterport 3D Exterior
Matterport 3D Tour
Photos
Street View
Street
Map
1 of 1
Presented by
2671 Mack Rd - Rare Mixed-Use Development Opportunity
Already a member? Log In
Hmm, there seems to have been an error sending your message. Please try again.
Thanks! Your message was sent.
