Log In/Sign Up
Your email has been sent.
Investment Highlights
- Fully serviced with underground power, natural gas, City water and sewer, and paved roads, this lot is equally prepared for immediate development.
- With quick access to the QEII Highway and proximity to Lacombe, these parcels offer prime opportunities for commercial development.
- Located in the thriving Wild Rose Commercial Park, this 3.04- acre parcel is positioned just off Highway 12.
Executive Summary
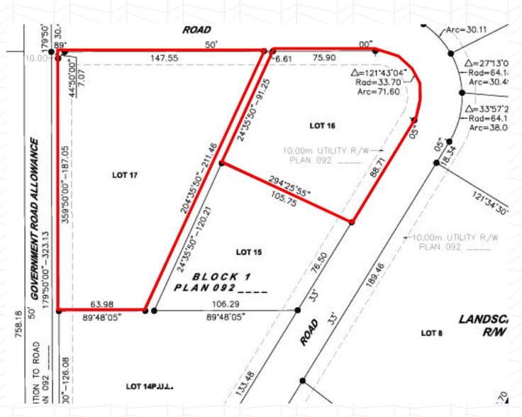
Parcel 1: 3.04 Acres (Lot 16) Located in the thriving Wild Rose Commercial Park, this 3.04- acre parcel is positioned just off Highway 12. The land is stripped and ready for site improvements, with services including underground power, natural gas, City water and sewer, and paved roads all available to the property line. Immediate possession ensures you can begin development without delay. Parcel 2: 5.26 Acres (Lot 17) Adjacent to the first, this 5.26-acre parcel offers the same convenient location and readiness for site improvements. Fully serviced with underground power, natural gas, City water and sewer, and paved roads, this lot is equally prepared for immediate development. These parcels can be purchased separately or together, providing flexibility for various development needs. The Wild Rose Commercial Park hosts notable businesses such as Penner Farm Services, Premium Built Structures, Fraserway RV Lacombe, and Schippers Canada. With quick access to the QEII Highway and proximity to Lacombe, these parcels offer prime opportunities for commercial development.
Property Facts
| Price | $1,254,000 CAD | Property Subtype | Commercial |
| Sale Type | Investment | Proposed Use | Commercial |
| No. Lots | 1 | Total Lot Size | 8.30 AC |
| Property Type | Land | ||
| Zoning | C-HC - Highway Commercial | ||
| Price | $1,254,000 CAD |
| Sale Type | Investment |
| No. Lots | 1 |
| Property Type | Land |
| Property Subtype | Commercial |
| Proposed Use | Commercial |
| Total Lot Size | 8.30 AC |
| Zoning | C-HC - Highway Commercial |
1 Lot Available
Lot
| Price | $1,254,000 CAD | Lot Size | 8.30 AC |
| Price Per AC | $151,084.34 CAD |
| Price | $1,254,000 CAD |
| Price Per AC | $151,084.34 CAD |
| Lot Size | 8.30 AC |
Lot 16: 3.04 Acres Lot 17: 5.26 Acres Combined: 8.30 Acres
Description
The Wild Rose Commercial Park hosts notable businesses such as Penner Farm Services, Premium Built Structures, Fraserway RV Lacombe, and Schippers Canada. With quick access to the QEII Highway and proximity to Lacombe, these parcels offer prime opportunities for commercial development.
Not walkable
10/100
Exceptionally drivable
100/100
Somewhat bikeable
20/100
1 of 4
Videos
Matterport 3D Exterior
Matterport 3D Tour
Photos
Street View
Street
Map
Presented by
27211 Rge Road 272
Already a member? Log In
Hmm, there seems to have been an error sending your message. Please try again.
Thanks! Your message was sent.




