Log In/Sign Up
Your email has been sent.
28-30 School St 10.93 Acres of Commercial Land Offered at $2,590,655 CAD in East Granby, CT 06026

Investment Highlights
- Town encourages Apartment development
- Close to village center. Minutes to Bradley International Airport
- City services located at the edge of the property
Executive Summary
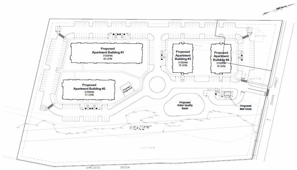
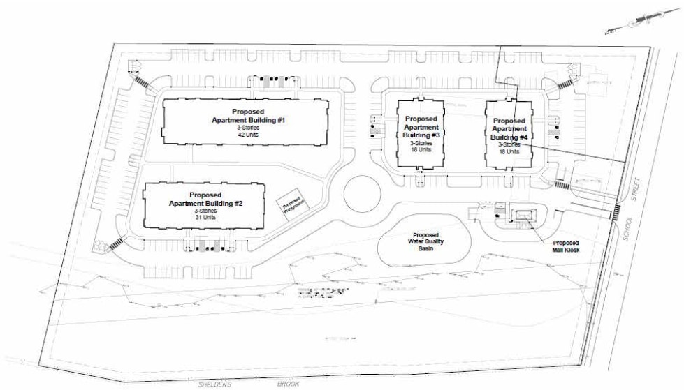
Prime development property for 109 apartment units. Town is encouraging development of a higher density project which is ideally located near the Village center.
Height restriction: 40 ft. Max coverage ratio: 80%. Other uses in the VC zone include retail, offices, and restaurants.
Height restriction: 40 ft. Max coverage ratio: 80%. Other uses in the VC zone include retail, offices, and restaurants.
Property Facts
| Price | $2,590,655 CAD | Property Subtype | Commercial |
| Sale Type | Investment or Owner User | Proposed Use | Apartment Units |
| No. Lots | 1 | Total Lot Size | 10.93 AC |
| Property Type | Land | ||
| Zoning | VC - Village Center - intended to be mixed-use areas, often including commercial, residential, and possibly some office or public uses. | ||
| Price | $2,590,655 CAD |
| Sale Type | Investment or Owner User |
| No. Lots | 1 |
| Property Type | Land |
| Property Subtype | Commercial |
| Proposed Use | Apartment Units |
| Total Lot Size | 10.93 AC |
| Zoning | VC - Village Center - intended to be mixed-use areas, often including commercial, residential, and possibly some office or public uses. |
1 Lot Available
Lot
| Price | $2,590,655 CAD | Lot Size | 10.93 AC |
| Price Per AC | $237,022.37 CAD |
| Price | $2,590,655 CAD |
| Price Per AC | $237,022.37 CAD |
| Lot Size | 10.93 AC |
Property is 10.93 Acres (net of 7 acres after accounting for wetlands and set backs) with preliminary plans for 109 apartments in four buildings. Sewer, water, gas and electricity located on School Street.
Description
Primarily flat property of 10.93 acres with preliminary plan for 109 apartment units. Property currently has a large commercial building and a barn. Sewer, water, and gas are located at the edge of property.
1 1
Somewhat walkable
20/100
Exceptionally drivable
100/100
Somewhat bikeable
20/100
1 of 2
Videos
Matterport 3D Exterior
Matterport 3D Tour
Photos
Street View
Street
Map
1 of 1
Presented by
28-30 School St
Already a member? Log In
Hmm, there seems to have been an error sending your message. Please try again.
Thanks! Your message was sent.
