Log In/Sign Up
Your email has been sent.
280 Butcher Rd - 280, 310, 312, 350 Butcher Road, Vacaville 0.93 Acres of Commercial Land in Vacaville, CA 95687



Investment Highlights
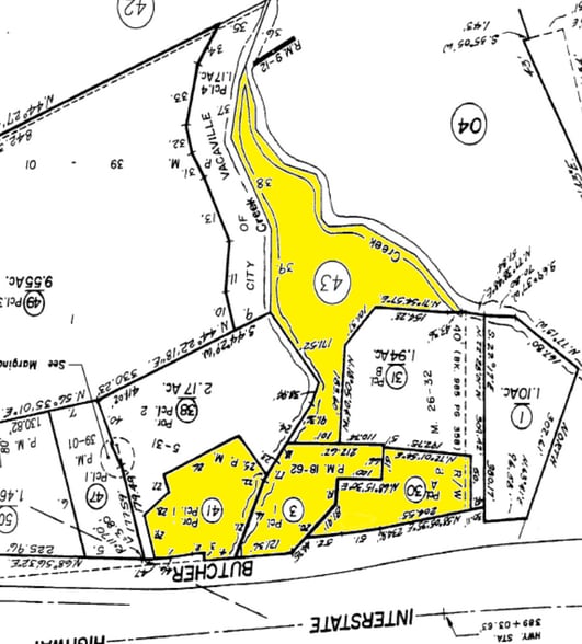
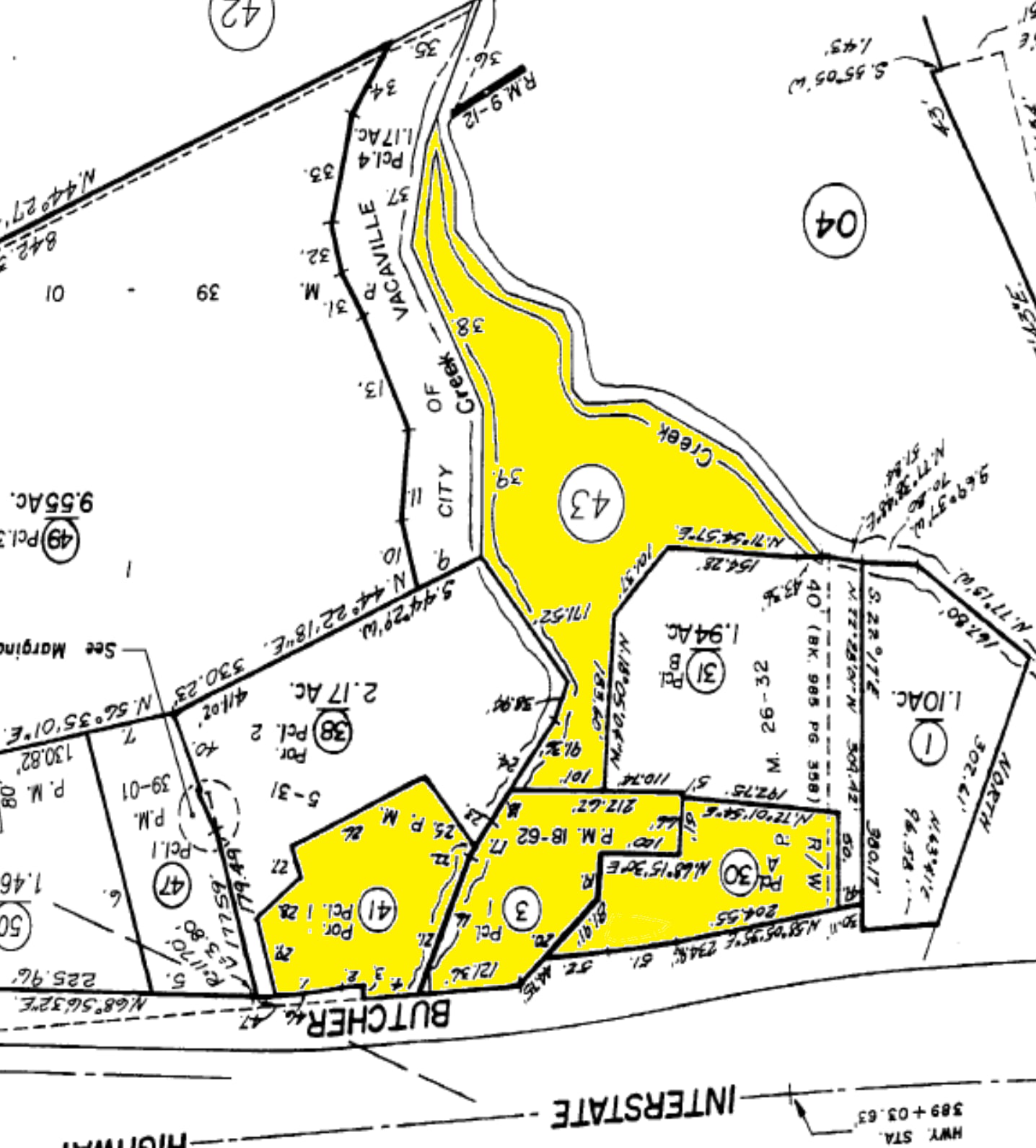
- Parcel #0127-431-200 at 312 Butcher Rd., Vacaville, CA behind and to the east of Vaca Village is zoned RH-Residential High Density Commercial.
- 4.63 total acres on four parcels. This property is part of a court ordered sale subject to Court Sales Order.
- Parcels #0127-070-300, , 0127-070-030, 0127-070-410 at 310, 350, and 280 Butcher Rd., Vacaville, CA are zoned General Commercial.
- Contact listing agent for mandator NDA and full offering memorandum.
Executive Summary
This offering presents a prime, well-located land development opportunity in Vacaville, CA. The offering consists of four contiguous and adjacent parcels with three zoned general commercial and one zoned high density residential. The three general commercial zoned parcels total 114,209 square feet with frontage on Butcher Road. Parcel APN#: 0127-4310200 is zoned residential high density and is a total 87,556 square feet (per public records). The potential development for these parcels is vast with a wide array of potential uses. Residential development would benefit from easy freeway access, nearby retail, commerce, and shopping, and serene public open space with hiking trails and mother nature preserved for residents next door. Potential retail / commercial development has possible visibility from Hwy 80 with direct frontage across the street from the freeway and easy access from on/off ramps.
Property Facts Under Contract
| Sale Type | Investment | Property Subtype | Commercial |
| Sale Condition | Distress Sale | Proposed Use | Commercial |
| No. Lots | 1 | Total Lot Size | 0.93 AC |
| Property Type | Land |
| Sale Type | Investment |
| Sale Condition | Distress Sale |
| No. Lots | 1 |
| Property Type | Land |
| Property Subtype | Commercial |
| Proposed Use | Commercial |
| Total Lot Size | 0.93 AC |
1 Lot Available
Lot
| Lot Size | 0.93 AC |
| Lot Size | 0.93 AC |
4.63 Acre, 4-Parcel Land Development Opportunity Address: 280, 310, 312, 350 Butcher Road, Vacaville, CA 95687 Ideal Location With Easy Hwy-80 Access / Convenient to Shopping & Commerce
1 1
Fairly walkable
40/100
Exceptionally drivable
100/100
Limited public transit
20/100
Fairly bikeable
40/100
Property Taxes
| Parcel Number | 0127-070-410 | Improvements Assessment | $576,481 CAD |
| Land Assessment | $864,722 CAD | Total Assessment | $1,441,204 CAD |
Property Taxes
Parcel Number
0127-070-410
Land Assessment
$864,722 CAD
Improvements Assessment
$576,481 CAD
Total Assessment
$1,441,204 CAD
1 of 10
Videos
Matterport 3D Exterior
Matterport 3D Tour
Photos
Street View
Street
Map
1 of 1
Presented by
280 Butcher Rd - 280, 310, 312, 350 Butcher Road, Vacaville
Already a member? Log In
Hmm, there seems to have been an error sending your message. Please try again.
Thanks! Your message was sent.
