Log In/Sign Up
Your email has been sent.
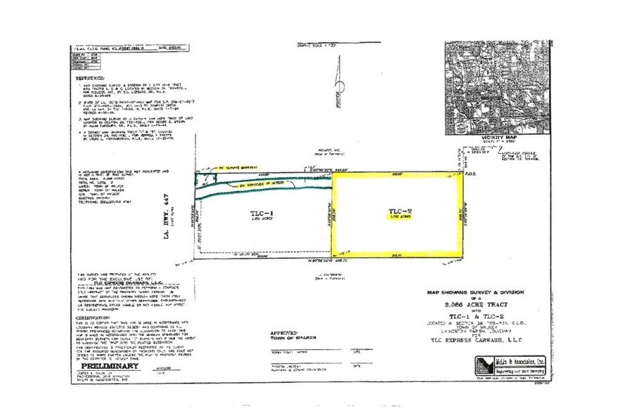
28798 Walker South Rd
Walker, LA 70785
Tract 2 · Land For Sale
·
1.50 AC


Investment Highlights
- Located in Walker City Limits Between I-12 and Florida Blvd
- 50' signage easement
- DID NOT FLOOD IN 2016!
- 25' servitude of access to Walker South
- R-C Zoning Allows For A Variety Of Potential Uses
Executive Summary
28798 Walker South Road offers 1.505 acres of vacant land for sale. Situated in the heartbeat of Walker City Limits, Between I-12 and Florida Blvd. The property is surrounded by many businesses and retailers such as Wal-Mart Super Center, AutoZone, Popeyes, Murphy's USA, Foochow Buffet, Albasha. There is a 25' servitude of access as well as a 50' signage easement off of Walker South Road. The R-C zoning allows for a wide range variety of potential uses. Property did not flood in 2016!
• 1.505 Acres on Walker South For Sale
• Located in Walker City Limits Between I-12 and Florida Blvd
• 25' servitude of access to Walker South
• 50' signage easement
• R-C Zoning Allows For A Variety Of Potential Uses
• DID NOT FLOOD IN 2016!
• 1.505 Acres on Walker South For Sale
• Located in Walker City Limits Between I-12 and Florida Blvd
• 25' servitude of access to Walker South
• 50' signage easement
• R-C Zoning Allows For A Variety Of Potential Uses
• DID NOT FLOOD IN 2016!
Property Facts
| Sale Type | Investment | Proposed Use | |
| No. Lots | 1 | Total Lot Size | 1.50 AC |
| Property Type | Land | Opportunity Zone |
Yes
|
| Property Subtype | Commercial | ||
| Zoning | R-C - R-C | ||
| Sale Type | Investment |
| No. Lots | 1 |
| Property Type | Land |
| Property Subtype | Commercial |
| Proposed Use | |
| Total Lot Size | 1.50 AC |
| Opportunity Zone |
Yes |
| Zoning | R-C - R-C |
1 Lot Available
Lot
| Price | $275,628 CAD | Lot Size | 1.50 AC |
| Price Per AC | $183,752.00 CAD |
| Price | $275,628 CAD |
| Price Per AC | $183,752.00 CAD |
| Lot Size | 1.50 AC |
Description
28798 Walker South Road offers 1.505 acres of vacant land for sale. Situated in the heartbeat of Walker City Limits, Between I-12 and Florida Blvd. The property is surrounded by many businesses and retailers such as Wal-Mart Super Center, AutoZone, Popeye's, Murphy's USA, Foochow Buffet, Albasha. There is a 25' servitude of access as well as a 50' signage easement off of Walker South Road. The R-C zoning allows for a wide range variety of potential uses. Property did not flood in 2016!
Property Taxes
| Parcel Number | 0267997 | Improvements Assessment | $0 CAD |
| Land Assessment | $20,672 CAD | Total Assessment | $20,672 CAD |
Property Taxes
Parcel Number
0267997
Land Assessment
$20,672 CAD
Improvements Assessment
$0 CAD
Total Assessment
$20,672 CAD
1 of 3
Videos
Matterport 3D Exterior
Matterport 3D Tour
Photos
Street View
Street
Map
