Log In/Sign Up
Your email has been sent.
Peanuts Automotive and Collision 2911 Thonotosassa Rd 1,987 SF Retail Building Plant City, FL 33565 $1,499,234 CAD ($754.52 CAD/SF)


Investment Highlights
- Located at the I-4 interchange (Exit 19) with direct access to Tampa and Orlando.
- Adjacent to a new Dunkin’ Donuts and near other major retailers.
- 99 feet of frontage on Thonotosassa Road with strong visibility.
Executive Summary
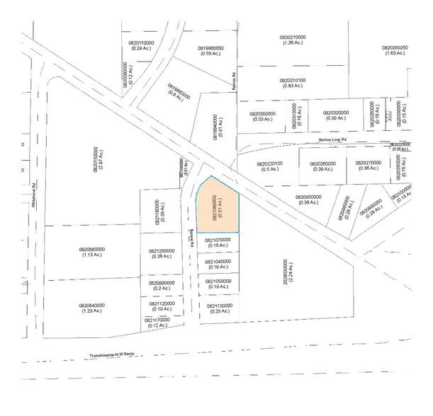
This property presents a versatile investment or owner-user opportunity in a high-visibility location within Plant City, Florida. Positioned on a 0.5-acre lot with 99 feet of frontage along Thonotosassa Road, the site offers immediate access to I-4 at Exit 19, ensuring strong connectivity to Tampa, Orlando, and the broader Central Florida market.
The main structure is a five-bay automotive shop, ideal for auto repair, service operations, or conversion to a car sales lot. The sale also includes a 1,000-square-foot, two-bedroom, one-bathroom residential home, providing flexibility for live-work arrangements or supplemental rental income. The property is zoned CG (Commercial General), supporting a wide range of commercial uses.
Surrounded by established businesses and national retailers, including a newly developed Dunkin’ Donuts, the location benefits from consistent traffic and strong consumer draw. This combination of automotive functionality, residential component, and strategic location makes the property a compelling acquisition for investors and operators alike.
The main structure is a five-bay automotive shop, ideal for auto repair, service operations, or conversion to a car sales lot. The sale also includes a 1,000-square-foot, two-bedroom, one-bathroom residential home, providing flexibility for live-work arrangements or supplemental rental income. The property is zoned CG (Commercial General), supporting a wide range of commercial uses.
Surrounded by established businesses and national retailers, including a newly developed Dunkin’ Donuts, the location benefits from consistent traffic and strong consumer draw. This combination of automotive functionality, residential component, and strategic location makes the property a compelling acquisition for investors and operators alike.
Property Facts
Sale Type
Investment or Owner User
Property Type
Retail
Property Subtype
Auto Repair
Building Size
1,987 SF
Building Class
C
Year Built
1986
Price
$1,499,234 CAD
Price Per SF
$754.52 CAD
Tenancy
Single
Building Height
1 Story
Building FAR
0.09
Lot Size
0.50 AC
Zoning
CG - commercial general
Frontage
99’ on Thonotosassa Road
Nearby Major Retailers
Property Taxes
| Parcel Number | U-24-28-21-ZZZ-000003-71110.0 | Improvements Assessment | $42,781 CAD |
| Land Assessment | $347,304 CAD | Total Assessment | $390,085 CAD |
Property Taxes
Parcel Number
U-24-28-21-ZZZ-000003-71110.0
Land Assessment
$347,304 CAD
Improvements Assessment
$42,781 CAD
Total Assessment
$390,085 CAD
1 of 3
Videos
Matterport 3D Exterior
Matterport 3D Tour
Photos
Street View
Street
Map
Presented by
Carl A. Larson Trust
Peanuts Automotive and Collision | 2911 Thonotosassa Rd
Already a member? Log In
Hmm, there seems to have been an error sending your message. Please try again.
Thanks! Your message was sent.

