Log In/Sign Up
Your email has been sent.
Property Facts
Sale Type
Owner User
Property Type
Retail
Property Subtype
Day Care Center
Building Size
8,535 SF
Building Class
C
Year Built
1998
Price
$3,923,111 CAD
Price Per SF
$459.65 CAD
Building Height
1 Story
Building FAR
0.16
Lot Size
1.23 AC
Zoning
C-C - Commercial
Parking
25 Spaces (2.95 Spaces per 1,000 SF Leased)
Space Availability
- Space
- Size
- Space Use
- Position
- Available
- 1st Floor
- 8,535 SF
- Retail
- Outparcel
- 30 Days
| Space | Size | Space Use | Position | Available |
| 1st Floor | 8,535 SF | Retail | Outparcel | 30 Days |
1st Floor
| Size |
| 8,535 SF |
| Space Use |
| Retail |
| Position |
| Outparcel |
| Available |
| 30 Days |
Fairly walkable
40/100
Exceptionally drivable
90/100
Fairly bikeable
50/100
Nearby Major Retailers
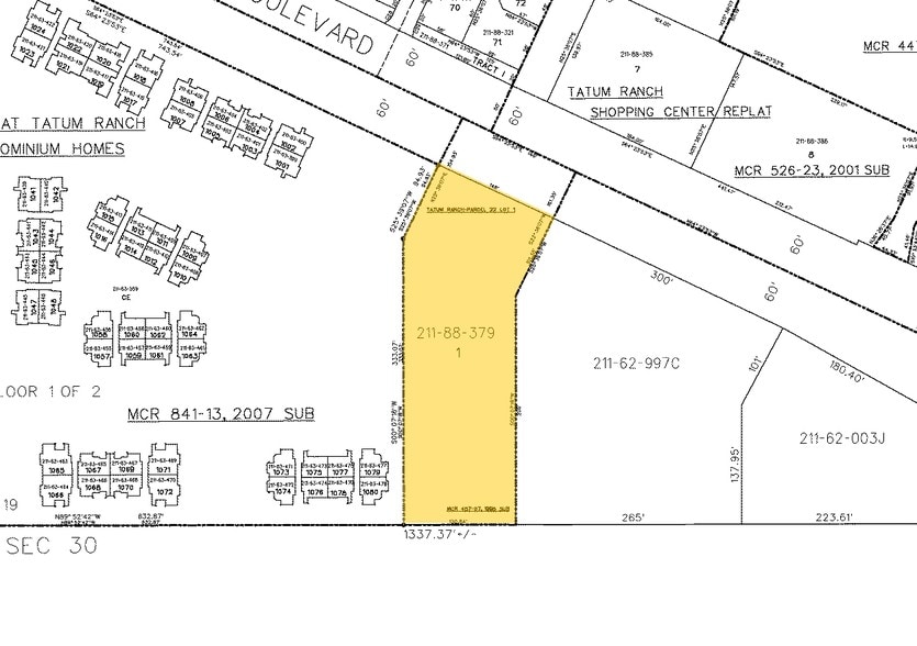
Property Taxes
| Parcel Number | 211-88-379 | Improvements Assessment | $0 CAD |
| Land Assessment | $0 CAD | Total Assessment | $240,567 CAD |
Property Taxes
Parcel Number
211-88-379
Land Assessment
$0 CAD
Improvements Assessment
$0 CAD
Total Assessment
$240,567 CAD
1 of 3
Videos
Matterport 3D Exterior
Matterport 3D Tour
Photos
Street View
Street
Map
Presented by
29858 N Tatum Blvd
Already a member? Log In
Hmm, there seems to have been an error sending your message. Please try again.
Thanks! Your message was sent.


